La Habana, Cuba.
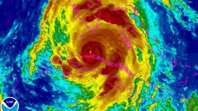
El huracán Irma provocaba inundaciones en Cuba la noche del sábado, mientras pone rumbo al sureste de Estados Unidos.
'Están ocurriendo fuertes inundaciones costeras en el litoral norte occidental desde Matanzas hasta La Habana, con olas (de) entre 6 y 9 metros', advirtió el Instituto de Meteorología en su parte de las 21H00 (01H00 GMT del domingo).
Irma, de categoría 3, estaba a las 00H00 GMT del domingo a 45 km al este-noreste de turístico balneario cubano de Varadero y a 175 km al sureste de Key West, en el extremo de Los Cayos de Florida, según el Centro Nacional de Huracanes estadounidense (NHC)
Las virulentas rachas de viento también derribaban árboles y tendidos eléctricos en múltiples localidades cubanas.
El agua del mar se había adentrado unos 250 metros en la capital al final del día, al chocar las inmensas olas con el Malecón, el emblemático paseo marítimo de la ciudad de ocho kilómetros de largo, según constataron periodistas de la AFP.
Las autoridades evacuaron a muchos vecinos de la zona ante el peligro, aunque otros, acostumbrados a estas penetraciones, prefirieron quedarse en sus viviendas.
'La última vez que llegó (el agua) nos llegó hasta la rodilla', contó a la AFP Leonor Herrera, una jubilada de 64 años.
'Ahora no ha subido tanto, porque hay veces que sube y hay que correr para allá adentro', señaló.
Las autoridades insisten a la población en la necesidad de tomar 'percepción del riesgo' y repiten hasta el cansancio los mensajes por las programaciones continuas de radio y televisión.
'Cuando empieza a subir el agua, empiezan las autoridades, el gobierno, a dar vueltas. Se ven las motos acuáticas y ellos están al tanto de cualquier emergencia', explicó Doralia García, una psicóloga de 40 años que vive cerca del Malecón.
Pero las penetraciones marinas, impulsadas por los vientos huracanados, afectan buena parte de la costa norte occidental en la noche del sábado, una cinco provincias en que fue cortado preventivamente el servicio eléctrico, aumentando el pesar de sus habitantes.
'Hemos visto numerosos árboles caídos, el viento se ha hecho cada vez más poderoso durante la tarde. Las lluvias son torrenciales, es muy impresionante', dijo a la AFP por telefónica Marien Lestrille, profesora francesa residente en Varadero, a 150 km al este de La Habana.
'Nos han informado que seguirá aumentando la intensidad hasta medianoche y luego comenzará a disminuir lentamente', agregó.
Irma tiene previsto impactar el sureste estadounidense el domingo por la mañana.
El huracán Irma provocaba inundaciones en Cuba la noche del sábado, mientras pone rumbo al sureste de Estados Unidos.
'Están ocurriendo fuertes inundaciones costeras en el litoral norte occidental desde Matanzas hasta La Habana, con olas (de) entre 6 y 9 metros', advirtió el Instituto de Meteorología en su parte de las 21H00 (01H00 GMT del domingo).
Irma, de categoría 3, estaba a las 00H00 GMT del domingo a 45 km al este-noreste de turístico balneario cubano de Varadero y a 175 km al sureste de Key West, en el extremo de Los Cayos de Florida, según el Centro Nacional de Huracanes estadounidense (NHC)
Las virulentas rachas de viento también derribaban árboles y tendidos eléctricos en múltiples localidades cubanas.
El agua del mar se había adentrado unos 250 metros en la capital al final del día, al chocar las inmensas olas con el Malecón, el emblemático paseo marítimo de la ciudad de ocho kilómetros de largo, según constataron periodistas de la AFP.
Las autoridades evacuaron a muchos vecinos de la zona ante el peligro, aunque otros, acostumbrados a estas penetraciones, prefirieron quedarse en sus viviendas.
'La última vez que llegó (el agua) nos llegó hasta la rodilla', contó a la AFP Leonor Herrera, una jubilada de 64 años.
'Ahora no ha subido tanto, porque hay veces que sube y hay que correr para allá adentro', señaló.
Las autoridades insisten a la población en la necesidad de tomar 'percepción del riesgo' y repiten hasta el cansancio los mensajes por las programaciones continuas de radio y televisión.
'Cuando empieza a subir el agua, empiezan las autoridades, el gobierno, a dar vueltas. Se ven las motos acuáticas y ellos están al tanto de cualquier emergencia', explicó Doralia García, una psicóloga de 40 años que vive cerca del Malecón.
Pero las penetraciones marinas, impulsadas por los vientos huracanados, afectan buena parte de la costa norte occidental en la noche del sábado, una cinco provincias en que fue cortado preventivamente el servicio eléctrico, aumentando el pesar de sus habitantes.
'Hemos visto numerosos árboles caídos, el viento se ha hecho cada vez más poderoso durante la tarde. Las lluvias son torrenciales, es muy impresionante', dijo a la AFP por telefónica Marien Lestrille, profesora francesa residente en Varadero, a 150 km al este de La Habana.
'Nos han informado que seguirá aumentando la intensidad hasta medianoche y luego comenzará a disminuir lentamente', agregó.
Irma tiene previsto impactar el sureste estadounidense el domingo por la mañana.