25/04/2026
12:00 AM

Irma se ensaña con Cuba y enfila hacia Florida

  • Actualizado: 09 septiembre 2017 /

El fenómenos es categoria tres, pero podría volver a ganar fuerza en su camino al sur de Florida.

Miami, Estados Unidos

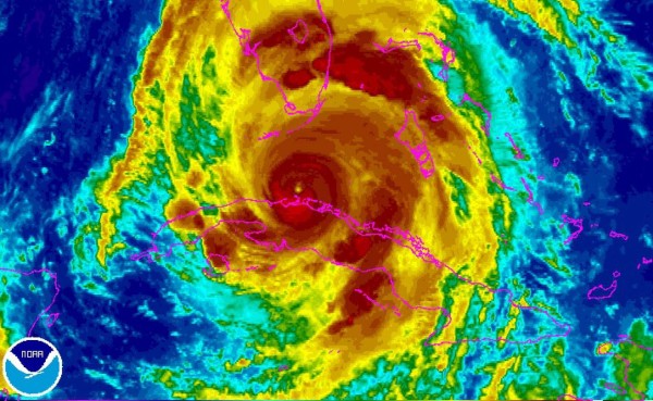
El monstruoso huracán Irma enfilaba la noche del sábado hacia Florida, donde 6,3 millones de personas recibieron la orden de evacuación, sin dejar de azotar en norte de Cuba y tras haber dejado 25 muertos en el Caribe.

El boletín del Centro Nacional de Huracanes estadounidense (NHC) de las 00H00 GMT del domingo situó el ojo del huracán a 45 km al este-noreste del turístico balneario cubano de Varadero y a 175 km al sureste de Key West, en el extremo de Los Cayos de Florida, con vientos máximos sostenidos de 195 km/h.

El NHC precisó que Irma, de categoría 3, 'ha aminorado temporalmente' y que desde la mañana del sábado se desplaza hacia el oeste-noroeste a 7 km/h.

'Seguirá moviéndose cerca de la costa norte de Cuba en las próximas horas y debería estar cerca de Los Cayos de Florida el domingo por la mañana', subrayó.

La Habana, donde fue activada la fase de alarma, soportaba fuertes ráfagas de viento, pero pocas precipitaciones. El oleaje rebasaba el Malecón y el agua se adentraba en las calles cercanas.

Las autoridades cubanas, que evacuaron a 1,5 millones de personas, establecieron que Irma es el huracán más poderoso cuyo ojo ha afectado directamente la isla desde 1932. Tocó tierra el viernes como categoría 5 con rachas de hasta 256 km/h.

Estados Unidos se prepara ahora para lo peor.

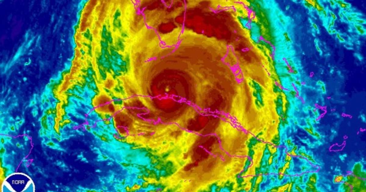
'Tomará más fuerza a medida que se aleje de territorio cubano y será un potente huracán cuando se acerque a Florida' el domingo, explicó el NHC.

Las autoridades estiman que 6,3 millones de habitantes, equivalente a más de la cuarta parte de la población de Florida, recibieron la orden de evacuación. Para los rezagados se habilitó un refugio sin servicio de comida ni camas.

El archipiélago de Los Cayos es particularmente vulnerable al aumento del nivel del mar por su baja altura.

'Será extremadamente difícil sobrevivir si usted está en Los Cayos', advirtió el gobernador de Florida, Rick Scott.

La localidad de Fort Lauderdale, a 50 km al norte de Miami, sufrió un tornado. Las autoridades emitieron advertencias de tornado en varios condados.

'Debes irte ahora'

'Nuestro estado nunca ha experimentado nada de esta magnitud', insistió Scott.

El trayecto del huracán ha cambiado ligeramente, y parece que se inclinará más hacia la costa oeste que hacia la costa atlántica, pero el ciclón es tan ancho que se anticipan destructoras tormentas en ambas costas.

'La amenaza de grandes inundaciones causadas por las olas en las costas este y oeste de Florida ha aumentado', advirtió el gobernador, pronosticando inundaciones de 1,8 a 3,6 metros.

'Puede cubrir tu casa (...) No sobrevivirás a la subida de las aguas. Si te han ordenado evacuar, debes irte ahora', advirtió.

La turística Miami Beach parecía el sábado una 'ciudad fantasma', según el alcalde de esta localidad costera de casi 100.000 habitantes, Phil Levine, quien calificó a Irma como un 'huracán nuclear'.

'El viento está aumentando (...) Pero nos preocupa principalmente la marea de la tormenta', dijo a CNN. 'Miami es propensa a las inundaciones, así que cuando un huracán nos empuja el agua, es muy inquietante'.

A pesar de las advertencia, algún vecino se negó a abandonar su casa, como Scott Abraham, quien vive en un quinto piso de un edificio que da a la playa.

Prefirió quedarse y enfrentar la tormenta: 'Si viviera en una casa me habría ido, pero si esta zona se inunda tardaría al menos una semana en volver y no quiero eso', señala.

'Este es el peor escenario para nuestra ciudad y nuestra región', dijo a CNN el alcalde de Fort Myers, una ciudad de la costa oeste, mientras trataba de tranquilizar a la población. 'Estamos listos', añadió.

Más de 54.000 residentes ya encontraron refugio en uno de los 320 albergues abiertos en Florida, según el gobernador Scott, quien llamó a la movilización. 'Necesitamos 1.000 enfermeras voluntarias para ayudar en los refugios'.

Llega José

El huracán ya dejó al menos 25 muertos en las islas del Caribe: diez en la parte francesa y dos en la holandesa de San Martín, cuatro en las Islas Vírgenes de Estados Unidos, seis en las Islas Vírgenes Británicas y el Archipiélago de Anguilla, dos en Puerto Rico y uno en Barbuda.

En las devastadas islas de San Martín y San Bartolomé, los socorristas actuaban contrarreloj para ayudar a los traumatizados habitantes antes de la llegada de otro poderoso huracán de categoría 4, José, esperado en la zona este sábado.

Un tercer huracán afectó el oeste del Golfo de México. Katia tocó tierra la noche del viernes en el estado mexicano de Veracruz, pero fue degradado a tormenta tropical, dando un respiro a la población y las autoridades tras el sismo de 8,2 que golpeó en el sur del país y dejó más de 60 muertos.