14/04/2026
09:29 PM

Eta toca tierra en el Caribe norte de Nicaragua como huracán de categoría 4

  • Actualizado: 03 noviembre 2020 /

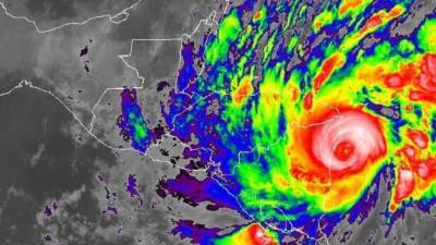
El ojo del huracán Eta, con vientos máximos de 240 kilómetros por hora, tocó este martes tierra al sur del municipio de Bilwi o Puerto Cabezas.

Managua, Nicaragua

El ojo del huracán Eta, con vientos máximos de 240 kilómetros por hora, tocó este martes tierra al sur del municipio de Bilwi o Puerto Cabezas, en el Caribe norte de Nicaragua, informaron las autoridades nicaragüenses.

El huracán arroja lluvias torrenciales y fuertes ráfagas de vientos en Bilwi, de aproximadamente 75.000 habitantes y ciudad principal de la Región Autónoma del Caribe Norte (RACN) de este país centroamericano.

El ojo del huracán Eta tocó este martes tierra al sur de ese municipio costero, dijo a periodistas el codirector del Sistema Nacional para la Prevención, Mitigación y Atención de Desastres (Sinapred), Guillermo González.

El funcionario aseguró que Eta ha alcanzado rachas superiores de 240 kilómetros por hora en territorio nicaragüense y se ubica a 43 kilómetros al este de la ciudad de Bilwi y su velocidad de traslación es de 9 kilómetros por hora.

En Bilwi o Puerto Cabezas, un municipio de 75.000 habitantes ubicado en el Caribe norte, fronterizo con Honduras, se activaron cientos de albergues donde se encuentran refugiadas al menos 6.000 familias, se aseguraron las casas, la población compró víveres, y el ambiente era de tensa calma previo al impacto del huracán.

Según el Sinapred, en este momento en Bilwi se registran vientos muy intensos, fuertes lluvias y un intento oleaje, y la población se encuentra refugiada en iglesias y escuelas que fueron habilitadas como albergues y permanecerán allí 'hasta que el ciclón pase'.

El Gobierno de Nicaragua declaró en la víspera la alerta roja en la RACN, que incluye Waspam y el Triángulo Minero, compuesto por los municipios de Bonanza, Rosita y Siuna, que en total alberga a cerca de 500.000 de habitantes, previo al impacto del huracán Eta.

La alerta roja se activa en Nicaragua cuando hay un desastre inminente o en progreso y las autoridades deben actuar en función de rescates.

Las autoridades decretaron la alerta amarilla o de vigilancia para los departamentos (provincias) de Jinotega y Nueva Segovia (norte), y en el de Chinandega (noroeste), y mantuvieron la alerta verde para el resto del país.

La alerta amarilla ordena la evacuación de zonas de riesgo, mientras que la alerta verde recomienda estar alerta frente a una posible catástrofe.

Asimismo el Sinapred ordenó a los miembros de las unidades de rescate 'estar listos' ante posibles emergencias, lo que incluye realizar salvamentos, evaluar daños y necesidades, así como brindar albergue a la población.

En 24 horas, Eta, el décimo segundo de esta temporada en el Atlántico, ha pasado de tormenta a convertirse en un huracán 'mayor', como se clasifica a los de categoría 3, 4 y 5 en la escala Saffir-Simpson.

Es la primera vez que se usa el nombre de Eta desde que se denomina a las tormentas de acuerdo con una lista anual, lo cual significa que 2020 es un año récord en el Atlántico.

Cuando se agota la lista, se usan las letras del abecedario griego y así ha sido este año hasta llegar a Eta.

Hasta ahora ha habido 28 tormentas tropicales con nombre, de las cuales 12 han sido huracanes, y queda todo noviembre para que se acabe oficialmente la temporada.EFE