15/04/2026
10:36 PM

Huracán Eta castiga a Honduras con inundaciones, evacuados y zonas incomunicadas

  • Actualizado: 03 noviembre 2020 /

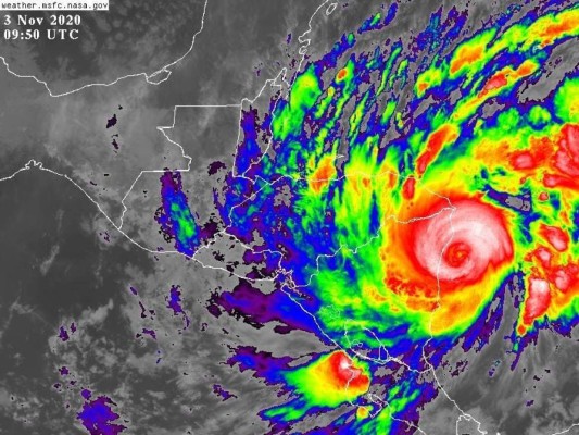
En la madrugada del martes el ojo de ETA, categoría 4, ingresó a territorio nicaragüense.

San Pedro Sula, Honduras
El h uracán Eta continúa siendo categoría 4, mantiene vientos sostenidos de 240 kilómetros por hora, dejando fuertes lluvias, inundaciones, zonas incomunicadas y cientos de evacuados en Honduras.
Las lluvias dejadas por el fenómeno se mantienen desde el domingo al mediodía y se intensificaron en horas de la noche del lunes y madrugada del martes.
La Comisión Permanente de Contingencias, Copeco, informó que el fenómeno se está trasladando a unos siete kilómetros por hora y su ojo ingresó a territorio nicaragüense hacia las 6:00 am.

Foto: La Prensa

Evacuaciones en aumento

Hasta la noche del lunes se contabilizaban un total de 165 personas evacuadas en Honduras ante la proximidad del peligroso huracán Eta, que escaló a categoría 4, mientras las autoridades de protección civil aseguran estar preparadas con más 54.000 kilos de alimentos para atender a los afectados.Las evacuaciones preventivas se realizaron en el Caribe y norte del país centroamericano, dijo a periodistas la jefa de Operaciones de la estatal Comisión Permanente de Contingencias (Copeco), Yanci López.

Del total de personas evacuadas, al menos quince están refugiadas en albergues por las inundaciones registradas, principalmente en Tela, Yoro y Cortés, en el norte y Caribe hondureño, señaló.

López indicó que en la ciudad de Tela se han desbordado varios ríos, por lo que se coordinó con organismos de socorro la evacuación de varias familias.

Foto: La Prensa

Los departamentos de Gracias a Dios, Colón, Atlántida e Islas de la Bahía, en el Caribe, y Olancho, en el oriente, se encuentran en estado de alerta roja (emergencia), lo que implica evacuación de personas en riesgo.

Ante la emergencia, el organismo de protección civil informó de que dispone de más de 120.000 libras de alimentos (54.545 kilos) para atender a las personas afectadas por las intensas lluvias que está dejando Eta.

Anunció además que ha enviado por vía área 4.000 raciones de alimentos para los pobladores de Gracias a Dios, fronterizo con Nicaragua.

Las alertas

La Comisión de Contingencias también mantiene en 'alerta amarilla' (vigilancia) los departamentos de Cortés y Santa Bárbara (colindantes con Guatemala); Yoro, Comayagua, Francisco Morazán y El Paraíso (este último vecino con Nicaragua), en el norte, occidente, centro y oriente del país.

En 'alerta verde' (preventiva), están los departamentos de Copán y Ocotepeque (fronterizos con Guatemala), Lempira, Intibucá, La Paz y Valle (con El Salvador) y Choluteca (con Nicaragua), situados en el occidente y sur de Honduras. Ocotepeque también colinda con El Salvador.

La Copeco ha instruido a los comités regionales y locales de emergencia para que adopten las medidas preventivas necesarias ante las lluvias, e instó a los hondureños a estar atentos y tomar precauciones para evitar daños humanos y materiales.

Foto: La Prensa

Según el Centro Nacional de Huracanes (NHC, en inglés) de Estados Unidos, Eta ya se encuentra próximo a la costa noreste de Nicaragua, donde se prevé que tocará tierra esta noche o el martes de madrugada.

Eta lleva ahora vientos máximos sostenidos de 215 kilómetros/hora, después de esta tarde convertirse en huracán 'mayor', denominado así estos sistemas entre las categorías 3, 4 o 5 en la escala Saffir-Simpson.

El efecto de sus vientos y lluvias en Centroamérica pueden ser marejadas ciclónicas, inundaciones repentinas y deslizamientos de tierra, añadió el observatorio, con sede en Miami.

A las 21.00 GMT, según el NHC, Eta estaba unos 110 kilómetros al este sureste del cabo Gracias a Dios en la frontera entre Nicaragua y Honduras, y unos 130 kms al este noreste de Puerto Cabezas, en Nicaragua. EFE