16/04/2026
03:24 PM

Huracán Douglas alcanza la categoría 3 rumbo a Hawái  

  • Actualizado: 23 julio 2020 /

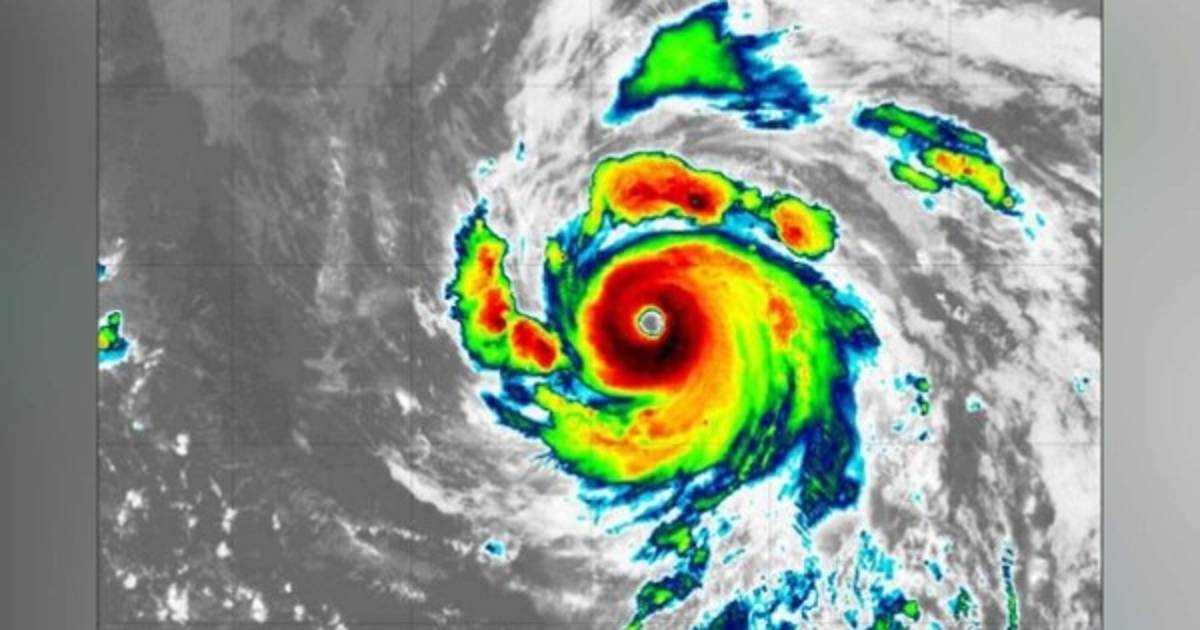
El ciclón se ubica al oeste-suroeste de Baja California Sur y avanza a 31 kilómetros por hora y registra vientos sostenidos de 195 kilómetros por hora.

México.

El huracán Douglas, el primero de la temporada del Pacífico, ganó fuerza en las últimas horas hasta alcanzar la categoría 3 mientras prosigue su ruta hacia Hawái, donde podría impactar en unos días, informó este jueves el Servicio Meteorológico Nacional (SMN) de México.

'Douglas se mantiene como huracán categoría 3 en la escala Saffir Simpson, se ubica al oeste-suroeste de Baja California Sur, lejos de costas mexicanas', detalló el Meteorológico en su más reciente informe.

Según el reporte de las 10.00 hora local, el fenómeno meteorológico está a 2.680 kilómetros de Punta Eugenia, en el noroccidental estado mexicano de Baja California Sur.

Además lea: Tormenta tropical Gonzalo se convertirá en huracán este jueves

El ciclón avanza hacia el oeste-noroeste a 31 kilómetros por hora y registra vientos sostenidos de 195 kilómetros por hora y rachas de 240 kilómetros por hora.

Se encuentra 'lejos de las costas mexicanas', afirmó el SMN, por lo que aún no emitió recomendaciones ni a la población ni a la navegación.

Douglas se formó como depresión tropical el lunes pasado y este miércoles se convirtió en el primer huracán del 2020 en el Pacífico.

En la madrugada de este jueves, su potencia aumentó hasta la categoría 3.

El ciclón se ha alejado paulatinamente de las costas sin dejar lluvias prominentes en el Pacífico mexicano.



Aunque en México el ciclón no ha causado estragos, por la trayectoria que sigue no se descarta que impacte a Hawái a partir del domingo 26 de julio como huracán categoría 1.

Si no cambia de rumbo, atravesaría Hawái entre el próximo domingo y lunes, perdiendo fuerza mientras avanza.

Douglas es el cuarto fenómeno de la temporada de huracanes en el Pacífico después de Amanda, Boris y Cristina.

Ninguno ha causado grandes precipitaciones en México, aunque por el Atlántico, Cristóbal sí dejó inundaciones en el sureste del país.

En la temporada de 2019 se registraron 33 eventos de este tipo, 19 por el Pacífico y 14 por el Atlántico, según los datos del Servicio Meteorológico Nacional.

La temporada de ciclones tropicales comienza cada año el 15 de mayo en el Pacífico y en el Atlántico el 1 de junio, terminando para ambas zonas el 30 de noviembre.