27/02/2026
09:22 AM

Advierten que dos huracanes impactarían en Honduras

  • Actualizado: 27 mayo 2024 /

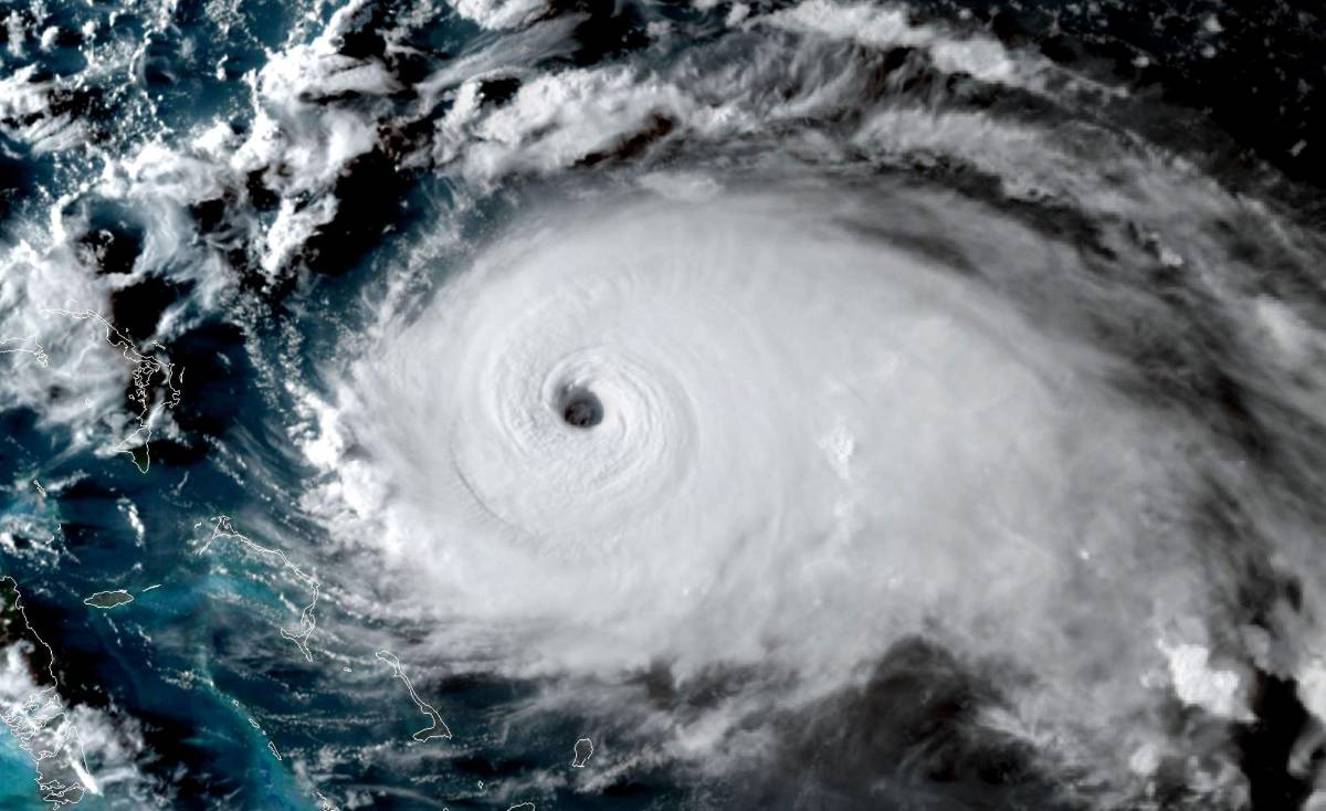
En el océano Atlántico se pronostica la formación de 23 tormentas tropicales, de las cuales 11 podrían llegar a la categoría huracán, según el comunicado de Copeco.

Tegucigalpa, Honduras

En Honduras podrían impactar dos huracanes con consecuencias por su destrucción a la economía nacional, advirtió la Secretaría de Gestión de Riesgos y Contingencias (Copeco).

En la temporada ciclónica, en los meses de septiembre, octubre y noviembre se espera la formación de 40 a 42 tormentas tropicales en las cuencas del Pacífico y el Atlántico.

Temporada de huracanes tiene las características de 1998 y 2020

En el océano Atlántico se pronostica la formación de 23 tormentas tropicales, de las cuales 11 podrían llegar a la categoría huracán, según el comunicado de Copeco.

De estos 11, cinco huracanes serían peligrosos, tres pasarían por agua o suelo del territorio nacional, y uno de ellos sería destructivo. En el océano Pacífico, inició el 15 de mayo y según los pronósticosse formarán alrededor de 17 tormentas tropicales, de las cuales siete podrían alcanzar lacategoria de huracanes.

“Ante ese panorama, la Secretaría de Gestión de Riesgos se ha mantenido en constante preparación sobre todo con el preposicionamiento de ayuda humanitaria en las bodegas de las regionales en todo el país, reuniones al más alto nivel con la Red Humanitaria y cooperantes”, agregó Copeco.

Los pronósticos de la temporada lluviosa de este año se están dando tal como se había previsto con anterioridad, producto de los efectos del fenómeno de El Niño, que ha dejado pocas lluvias en el territorio nacional, a excepción de los chubascos que han precipitado en las regiones suroccidental, sur, centro y sectores del oriente del país”, recuerdan.

Medidas prevención

Las lluvias podrían presentarse con mayor regularidad a finales de mayo e inicios de junio.

Copeco recordó que es necesario tomar medidas preventivas como el dragado de quebradas, riachuelos y ríos, entre ellos los más caudelosos como el río Ulúa, el río Chamelecón, río Choluteca, entre otros.

También pidió a la población tomar medidas de prevención como la limpieza de las cunetas, tragantes y eliminar la basura, arena o rocas que obstaculicen el paso del agua, para así evitar inundaciones.