María alcanzó la máxima potencia de un huracán mientras avanzaba por el Atlántico este lunes en la noche y comenzaba a azotar a la isla caribeña de Dominica, informaron los meteorólogos.
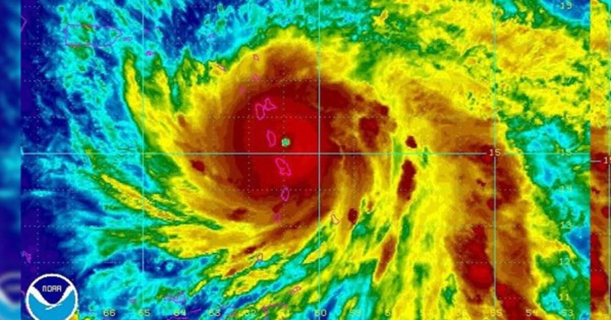
El 'extremadamente peligroso' ciclón alcanzó vientos de hasta 257 kilómetros por hora mientras se encontraba a solo sólo 25 kilómetros al este sudeste de Dominica a las 0000 GMT del martes, dijo el Centro Nacional de Huracanes (NHC) de Estados Unidos.
El lunes por la tarde María pasó a categoría 4 'extremadamente peligroso', informaron meteorólogos de Estados Unidos, que siguen de cerca este fenómeno. María se convirtió en huracán el domingo mientras se dirigía hacia el este del Caribe con vientos de hasta 150 km/h, informó el NHC.
Alertas
Las advertencias y recomendaciones de monitorear fueron elevadas de nivel en varias islas del Caribe, que aún no se recuperan del paso del devastador huracán Irma a inicios de septiembre.
El NHC dijo que María podría producir 'una peligrosa tormenta y olas grandes y destructivas' que elevarían los niveles del mar entre 1,2 y 1,8 metros cuando pase por las islas de Sotavento.
Pronosticó una precipitación máxima de unos 51 centímetros en esas islas, en Puerto Rico, y en las islas Vírgenes británicas y estadounidenses en la noche del miércoles, condiciones que podrían causar inundaciones repentinas y deslizamientos de tierra potencialmente mortales.
Además, el NHC lanzó una advertencia de huracán para Martinica, Antigua y Barbuda, Saba y San Eustaquio, y Santa Lucía.

A resguardo
La isla francesa de Guadalupe será colocada en 'alerta roja' de ciclones a partir del mediodía del lunes (16h00 GMT), informó la prefectura.
El prefecto 'pide que la gente no se desplace, que busquen cobijo, ya sea en sus casas o en un lugar seguro y que se informen de las condiciones meteorológicas por radio', agregó el comunicado.
El servicio de meteorología francés Météo France advirtió que 'no se excluye que María alcance la categoría 3 cuando pase por Guadalupe' y aseguró que esta 'amenaza debe ser tomada muy en serio'.
'Météo-France prevé olas que pueden llegar hasta 10 metros, violentos vientos de 150 km/h a 180 km/h, con ráfagas de hasta 200 km/h, fuertes lluvias de hasta 400 mm por sitios y que proseguirán durante toda la jornada del martes', señaló.
En Martinica las autoridades destacaron que 'este fenómeno meteorológico puede traducirse en inundaciones causadas por un oleaje importante y lluvias tormentosas desde el fin de la noche' del lunes.
Las autoridades informaron que las islas de San Martín y de San Bartolomé siguen bajo vigilancia amarilla y que Martinica está bajo vigilancia naranja.
Barbuda fue diezmada por el huracán Irma el 5 y 6 de septiembre, cuando fue la primera isla del Caribe en recibir a este ciclón de categoría 5.
Lo que dejó Irma
Irma dejó alrededor de 40 personas muertas en el Caribe antes de golpear Florida, donde murieron al menos 20 personas.
Mientras el gobierno francés ha sido acusado de carecer de capacidad de previsión durante el pasaje de Irma, el ministro del Interior, Gérard Collomb, anunció el domingo el envío de unos '110 militares de la protección civil'.
Francia, Gran Bretaña y Holanda están en el corazón de polémicas sobre los medios implementados tras el pasaje de Irma. Sus gobiernos fueron responsabilizados de haber tardado en enviar asistencia y refuerzos policiales a las islas, sumidas en el caos y a menudo libradas al saqueo tras el paso del huracán.
¿Qué pasó con José?
Un segundo huracán, José, también está activo en el Atlántico y ha desencadenado alertas de tormenta tropical para el noreste de Estados Unidos.