26/02/2026
09:28 AM

Huracán José comienza a debilitarse en el Atlántico

  • Actualizado: 10 septiembre 2017 /

El ojo del huracán José tuvo hoy un cambio de rumbo de última hor

San Juan

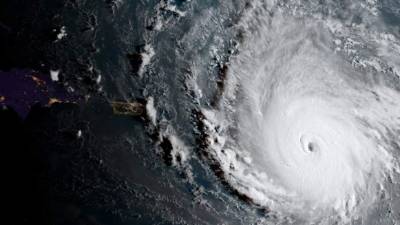
El ojo del huracán José tuvo hoy un cambio de rumbo de última hora y en algunas islas como Barbuda y otras de las Antillas Menores se evitó lo que iba a ser el segundo azote de un huracán en el espacio de cuatro días.

Sin embargo, se esperan condiciones propias de tormenta tropical esta madrugada en las Islas Vírgenes británicas y estadounidenses.

El aviso de huracán fue suspendido en Antigua y Barbuda, mientras que en San Martín y San Bartolomé continúan bajo aviso de tormenta tropical.

El Gobierno de Antigua y Barbuda había ordenado evacuar Barbuda ante la inminente llegada en la tarde del sábado del huracán José, después de que el ciclón Irma provocara la destrucción, prácticamente total, y causara la muerte de al menos 25 personas en las Antillas Menores y Puerto Rico.

El primer ministro, Gaston Browne, había ordenado que las personas que no huyeron antes del paso del huracán Irma, se trasladaran a Antigua, a unos 60 kilómetros de distancia, ya que el ojo del ciclón pasaría, salvo giros de última hora, por el este de la isla.

Todos ellos fueron evacuados en ferries.

Finalmente el giro se produjo y el huracán, de categoría 4, se fue más al norte de lo esperado, tal y como señaló la NASA en su cuenta oficial de la red social Twitter.

Tras el paso del huracán Irma, al menos 11 personas murieron en San Bartolomé y San Martín, cuatro en las Islas Vírgenes de EEUU y el mismo número en las británicas.

Asimismo, una persona murió en Barbuda, otra en Barbados y una más en Anguila, mientras que en Puerto Rico murieron tres personas en hechos relacionados con las condiciones climatológicas causadas por el huracán, de acuerdo con los nuevos datos aportados por las distintas organizaciones de socorro y manejo de emergencias.

Los daños causados por el huracán Irma en los territorios franceses de ultramar San Martín y San Bartolomé se estiman en unos 1.200 millones de euros.