20/04/2026
12:45 AM

En vivo: Irma, el huracán más fuerte jamás registrado en el Atlántico

  • Actualizado: 05 septiembre 2017 /

El ciclón de categoría 5, 'potencialmente catastrófico', amenaza a las islas del Caribe y a la Florida.

Florida, Estados Unidos.

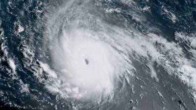
El huracán Irma alcanzó este martes la máxima categoría, amenazando las islas caribeñas como las Antillas francesas, Haití, República Dominicana y Cuba, así como el estado de Florida, que declaró una situación de emergencia.

Irma se ha convertido en un 'huracán extremadamente peligroso', de categoría 5, la más elevada en la clasificación de estos fenómenos, y es el ciclón más fuerte del que se tienen registros en el Atlántico, anunció el Centro Estadounidense de Huracanes, NHC.

A media jornada, el ojo del huracán se hallaba a entre 500 y 600 kilómetros al este del arco antillano (más o menos frente a la isla de Guadalupe) y tomaba una dirección oeste-noroeste, según el servicio francés de meteorología Météo France.

Se trata del 'primer huracán de categoría 5' en golpear el norte de las Antillas francesas, según Météo France, que advirtió que el huracán todavía está 'en una fase de intensificación'.

Los fuertes vientos estarán acompañados de tormentas y de grandes oleajes. En las islas antillanas de San Bartolomé y San Martín, se esperan entre 100 y 300 milímetros de agua. Las olas podrían alcanzar una decena de metros de altura en las islas Vírgenes.

La trayectoria de Irma es aún incierta, pero según varias proyecciones pasará también por Haití y Cuba.

Lea más: Irma alcanza la categoría 5 y se dirige a la Florida

El huracán podría alcanzar a finales de semana la costa este de Estados Unidos, apenas unos días después del paso devastador de Harvey -de categoría 4- que dejó al menos 42 muertos y enormes daños materiales, especialmente en el estado de Texas.



Harvey 'era menos potente que Irma', pero provocó 'fenomenales acumulaciones de lluvia, durante cinco a siete días, que no se producirán en este caso porque Irma circulará', dijo Emmanuel Demael, experto de Météo France.

El gobernador de Florida, Rick Scott, declaró en emergencia a todos los condados del estado, a fin de liberar recursos para recibir a esta 'peligrosa tormenta'.

En Puerto Rico, un territorio de 3,5 millones de habitantes, el gobernador Ricardo Rossello movilizó a la guardia nacional y anunció la apertura de centros de acogida con camas para hasta 62.000 personas.