24/04/2026
06:41 PM

Poderoso huracán Irma de categoría 5 atraviesa Barbuda

  • Actualizado: 06 septiembre 2017 /

Los daños materiales provocados por el huracán Irma 'ya son importantes', declaró Annick Girardin, ministra francesa de Ultramar.

Barbuda

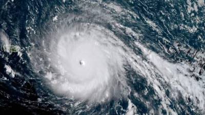
El ojo del huracán Irma atravesó hoy Barbuda con efectos 'potencialmente catastróficos' en esta isla y en el resto de Antillas Menores, Puerto Rico, la República Dominicana y otros enclaves del Caribe, informó el Centro Nacional de Huracanes (NHC) de Estados Unidos.

De categoría 5, la máxima en la escala de intensidad Saffir-Simpson, Irma cruzó Barbuda sobre las 02.00 hora local (06.00 GMT) con vientos máximos sostenidos de 295 kilómetros por hora.

A esta hora, Irma avanza en dirección norte-noroeste a una velocidad de 24 kilómetros por hora y se ubica 10 kilómetros al norte de Barbuda y 65 kilómetros al norte de Antigua.

En Barbuda viven 1.645 personas y hay 545 viviendas de acuerdo al último censo de 2011.

Según el probable patrón de trayectoria trazado por el NHC, tras atravesar las Antillas Menores el vórtice del 'extremadamente peligroso' Irma pasará cerca o justo al norte de Puerto Rico hoy al medio día y la próxima noche local.

Una vez superado Puerto Rico, Irma pasará probablemente por el norte de la República Dominicana, las Bahamas, el norte de Cuba y llegará a Florida a finales de semana.
Aunque se esperan algunas fluctuaciones, los meteorólogos prevén que Irma se mantenga en categoría 4 o 5 en las próximas 48 horas.

Irma es el huracán más intenso formado en el Atlántico desde Allen, que en 1980 alcanzó vientos máximos sostenidos de 305 kilómetros por hora.