25/02/2026
03:13 PM

Huracán Eta azota con fuerza costas de Nicaragua y deja primeros destrozos

  • Actualizado: 03 noviembre 2020 /

El potente ciclón tocó tierra esta mañana en el poblado de Bilwi con potentes vientos y fuertes lluvias.

Managua, Nicaragua.

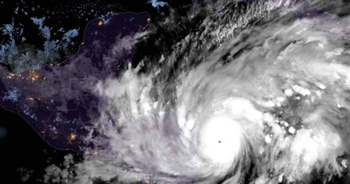
Eta impactó este martes como huracán categoría 4 la costa de del Caribe Norte de Nicaragua y cerca de la frontera con Honduras, con vientos de 230 km/h y fuertes lluvias que ya dejaban inundaciones, según fuentes oficiales.

El ojo de Eta ingresaba por las costas de Bilwi, principal ciudad del Caribe Norte de Nicaragua con categoría 4 en la escala de Saffir-Simpson de 5, afirmó el director de Meteorología del Instituto Nicaragüense de Estudios Territoriales (Ineter), Marcio Baca, en rueda de prensa.



'El borde del ojo de la tormenta está iniciando tocar ya tierra' con vientos de 230 km/h, indicó Baca.

El NHC indicó que Eta presenta vientos de 145 millas por hora (230 km) con ráfagas más fuertes y se mueve muy lentamente, a 4 millas por hora (6 km/h), hacia el oeste noroeste.

Los vientos con fuerza de huracán se extienden hasta 25 millas (35 km) desde su ojo y los más débiles (con fuerza de tormenta tropical) llegan a 125 millas (205 km).



En el aeropuerto de Punta Cabeza (Nicaragua) se registro una ráfaga de 69 millas por hora (111 km/h) con ráfagas de 103 millas (166 km/h), según datos recabados por el NHC.

La zona de Nicaragua bajo aviso de huracán comprende desde la frontera con Honduras hasta Sandy Bay Sirpi

Sus efectos en determinadas zonas de Centroamérica pueden ser marejada ciclónica, vientos potencialmente catastróficos y lluvias intensas que pueden ocasionar inundaciones repentinas y deslizamientos de tierra.

La marejada ciclónica puede elevar el mar de 14 a 21 pies (de 4,2 a 6 metros) por encima del nivel de marea o normal en las zonas de Nicaragua que están en el aviso de paso de huracán emitido por el NHC.

En Honduras la subida puede ser de 3 a 5 pies (hasta 1,5 metros).

La marejada ciclónica va acompañada de grandes y destructivas va olas.

En el patrón de trayectoria, el ojo de Eta estará en la costa de Nicaragua un par de horas y después pasará sobre el norte del territorio nicaragüense y por partes del centro de Honduras.

Vea: Nicaragua evacúa a miles de personas de zona donde impacta Eta

En gran parte de Nicaragua y Honduras caerán lluvias de 15 a 25 pulgadas (380 a 635 mm) y en puntos aislados pueden recogerse hasta 35 pulgadas (890 mm).

En el este de Guatemala y Belice, se esperan lluvias de 10 to 20 pulgadas (255 a 510 mm), mas copiosas en puntos aislados, en Panamá y Costa Rica, de 10 a 15 pulgadas (255 a 380 mm), más copiosas en puntos aislados.

En Jamaica y el sureste de México, de 5 a 10 pulgadas (125 a 255 mm), en El Salvador, sur de Haití y las Islas Caimán, de 3 to 5 pulgadas (75 to 125 mm).