Florida.
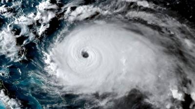
El monstruoso Dorian, un huracán de una potencia sin precedentes en la historia de Las Bahamas, azotó ayer el norte de este archipiélago entre Florida, Cuba y Haití, con vientos cercanos a los 300 km/h y lluvias torrenciales.
El huracán de categoría 5, calificado de catastrófico por el Centro Nacional de Huracanes de Estados Unidos (NHC), alcanzó ayer la categoría 5 y tocó tierra al mediodía en el cayo Elbow, de las islas Ábaco, en el noroeste de las Bahamas, un archipiélago formado por 700 islas, islotes y cayos.
“Nos enfrentamos a un huracán (...) como no habíamos visto nunca en la historia de las Bahamas”, declaró el primer ministro Hubert Minnis, quien rompió a llorar en la conferencia de prensa.
Los residentes de Ábaco se refugiaron en iglesias, albergues y escuelas mientras Dorian devastaba gran parte de la isla. Hasta anoche se desconocía si había pérdidas humanas.
LEA: Todo lo que debe saber sobre un huracán categoría 5 como Dorian
| El fenómeno ya ha hecho desastres.
|
El NHC, con sede en Miami, informó que al tocar tierra, Dorian igualó el récord del huracán más potente del Atlántico, que data de 1935. Entretanto, millones de personas se preparaban en la costa este de EUA a la espera de la llegada del huracán este lunes.
Desde la Casa Blanca, el presidente de Estados Unidos, Donald Trump, pidió la máxima vigilancia contra este ciclón “muy, muy poderoso”. Según las proyecciones del NHC, el huracán se acercará hoy por la noche a la costa este de Florida; pero es difícil predecir con qué intensidad golpeará a ese estado tras su cambio de trayectoria. “Se está moviendo y es muy difícil de predecir. No sabemos lo que se nos viene”, dijo Trump. El gobernador de Carolina del Sur, Henry McMaster, declaró emergencia en el estado. “La fuerza y la imprevisibilidad de la tormenta nos obliga a estar preparados, señaló.
| Miles de ciudadanos que se ven afectados han tapado previamente sus casas o negocios para no sufrir tantos daños materiales e incluso para preservar sus vidas.
|
El estado de emergencia ya se había declarado en Florida y en Georgia. Una evacuación obligatoria se ordenó para Palm Beach y el condado de Martin.
Aunque Miami probablemente se salvó de la tormenta, sus residentes se mantenían cautelosos y las autoridades continuaron distribuyendo sacos de arena para combatir las inundaciones.
El gobernador republicano de Florida, Ron DeSantis, instó a la gente a “mantenerse alerta”.
Los pronósticos mantienen que antes de llegar al litoral estadounidense, el ojo de Dorian iniciará un recorrido por la costa de los estados de Georgia y las Carolinas, mientras va perdiendo algo de fuerza. “Además de Florida, también Carolina del Sur, Carolina del Norte, Georgia y Alabama es muy probable que resulten impactados (mucho) más fuerte de lo previsto. Parece uno de los mayores huracanes de la historia. Ya es categoría 5. ¡Cuidado, y que Dios bendiga a todos!”, advirtió Trump.