23/04/2026
11:27 PM

El huracán Dorian devasta las Islas Ábaco, en el noroeste de Bahamas

  • Actualizado: 01 septiembre 2019 /

El Gobierno de Bahamas todavía no ofreció un balance del paso del huracán por la región al dirigirse hacia Gran Bahama.

San Juan.

El histórico huracán Dorian devastó este domingo las Islas Ábaco, un pequeño grupo de cayos al noroeste del archipiélago atlántico de las Bahamas con una población de cerca de 15.000 habitantes, muchos de los cuales habían abandonado la zona antes de la llegada del ciclón.

El Gobierno de Bahamas todavía no ofreció un balance del paso del huracán por la región al dirigirse hacia Gran Bahama, el otro punto del archipiélago donde se espera que también provoque graves daños, aunque los vídeos ofrecidos en las redes sociales muestran inundaciones de proporciones desconocidas en estas latitudes.

Los vídeos revelan auténticos ríos en las Islas Ábaco, parte de cuya superficie quedó completamente anegada por las monumentales lluvias que trajo el huracán Dorian, según las autoridades locales el más catastrófico del que se tiene constancia.

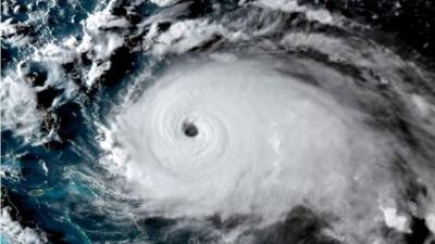
El histórico huracán Dorian, de categoría 5, tocó tierra este domingo en el Cayo Elbow, en las islas Ábaco del archipiélago atlántico, dejando destrucción a su camino.

Las lluvias provocaron ríos de agua que casi cubren viviendas, muchas con los techos destrozados por la fuerza de vientos máximos sostenidos de 295 kilómetros por hora (185 millas por hora).


Otras imágenes muestran automóviles volcados en carreteras junto a casas castigas por la torrenciales lluvias y fuertes vientos.

Además, se ve a gente que trata de alcanzar las partes altas de sus viviendas mientras sube el nivel del agua, que convirtió parte de las Islas Ábaco en ríos.

El primer ministro de Bahamas, Hubert Minnis, había pedido el sábado a la población del noroeste del archipiélago, en especial a los residentes en islas Ábaco y Gran Bahama, que abandonaran la zona si no disponían de un lugar seguro para resistir el paso del histórico huracán.

Muchas personas, sin embargo, se resistieron a abandonar sus hogares y se vieron sorprendidas por inundaciones monumentales.

Las autoridades de Bahamas no han dado todavía información oficial de los daños a infraestructuras y persona, ya que el sistema se mantiene todavía en el área y no se espera que abandone la región en su camino hasta la costa este de Estados Unidos hasta el lunes.

El primer ministro, tras reunirse con la dirección de la Agencia Nacional de Manejo de Emergencias (NEMA, por sus siglas en inglés) de Bahamas, dijo que se trata del ciclón más destructivo al que se ha enfrentado en su historia el archipiélago atlántico.

El ojo del poderoso huracán Dorian de categoría 5, la máxima en la escala Saffir Simpson, tocó tierra este domingo en el Cayo Elbow, en las islas Ábaco del archipiélago de Bahamas, informó el Centro Nacional de Huracanes (CNH) de Estados Unidos.

El centro meteorológico señaló que Dorian tocó tierra a las 12.40 horas local (16.40 GMT) en el Cayo Elbow, en la parte nororiental de Bahamas, con vientos máximos sostenidos de 295 kilómetros por hora (185 millas por hora).