28/02/2026
07:57 PM

Hoy habrá lluvias moderadas en La Mosquitia, Colón y Olancho

  • Actualizado: 16 noviembre 2020 /

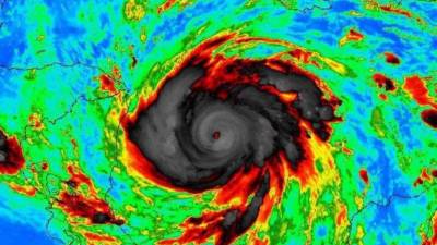
Las bandas nubosas del huracán Iota generarán precipitaciones, advierte Jairo García, pronosticador de turno de Cenaos.

Tegucigalpa, Honduras

El Centro de Estudios, Atmosféricos, Oceanográficos y Sísmicos (Cenaos) pronosticó para hoy lunes, lluvias entre moderadas y fuertes en La Mosquitia, Colón y Olancho.

Jairo García, pronosticador de turno de Cenaos, informó “que, de acuerdo al estado del tiempo para este día, vamos a tener el ingreso de humedad por las bandas nubosas del huracán Iota”.

“Las bandas ocasionarán precipitaciones de moderadas a fuertes especialmente en las zonas de La Mosquitia, Gracias a Dios, regiones montañosas en Colón y en la región norte de Olancho”, expresó.

“En las demás áreas se podrían presentar precipitaciones de variada intensidad, pero las tendencias serían hacia la baja, como producto de esas bandas nubosas”, afirmó el experto.

Temperaturas

“La temperatura en la zona norte del país alcanzaría los 28 grados centígrados; en el Valle de Sula, 29 grados; la zona occidental, también 29 grados; mientras tanto, la región central y oriental, 28 grados; la zona sur mantendría unas condiciones cálidas hasta de 34 grados y Tegucigalpa hasta 26 grados”, precisó.

Advirtió que “el oleaje en todo el Mar Caribe se presentaría alterado debido a los vientos acelerados del huracán Iota, cerca del Litoral estaría de 4 a 6 pies, en los bancos de pesca de La Mosquitia sí estaría alterado de 8 a 10 pies y en el Golfo de Fonseca, sería de 2 a 4 pies”.