14/01/2026
12:26 AM

Honduras: Huracán Iota podría comenzar a disiparse hasta el miércoles

  • Actualizado: 16 noviembre 2020 /

Según el pronóstico meteorológico una vez que toque tierra comenzará a debilitarse, pero las lluvias continuarán.

Miami, Estados Unidos.

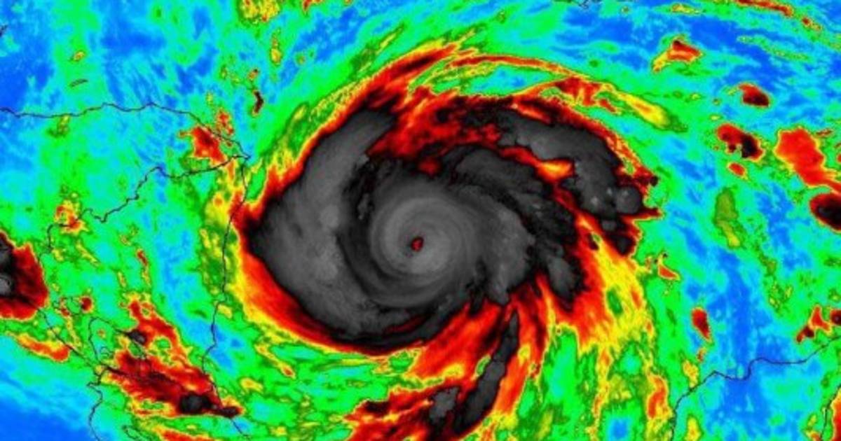
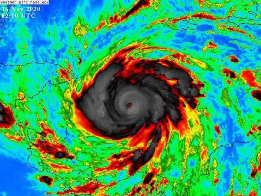
El huracán Iota, que la madrugada de este lunes se intensificó hasta convertirse en un huracán de categoría mayor, alcanzó esta mañana la categoría 5, la máxima en la escala Saffir Simpson, mientras se aproxima a Centroamérica, donde se prevé toque tierra esta noche, informó el Centro Nacional de Huracanes (NHC) de EE.UU.

En su boletín de las 15.00 GMT, el NHC informó que el huracán presenta vientos máximos sostenidos de 260 kilómetros por hora (160 m/h) en su ruta hacia el noreste de Nicaragua y el este de Honduras, que están bajo aviso de huracán y donde se espera toque tierra esta noche.

'Se prevé que Iota siga siendo un catastrófico huracán de categoría 5 cuando se acerque a Centroamérica esta noche', señaló el NHC, que advierte de lluvias extremas, catastróficos vientos y una peligrosa subida de la marea en esa región que este mismo mes recibió el impacto del fenómeno tropical Eta.

Además lea: Unas 20,000 personas se niegan a evacuar en Villanueva

Iota, que una vez toque tierra se debilitará hasta disiparse el miércoles, se desplazaba a 15 kilómetros por hora (9 m/h) con dirección oeste y se ubica 65 kilómetros (40 m) al oeste de la isla caribeña de Providencia y 160 kilómetros (100 m) al este-sureste de Puerto Cabezas, en Nicaragua.

El archipiélago de San Andrés y Providencia sufre este lunes el embate del huracán Iota, que dejó estragos y cuantiosos daños en el norte de la Colombia continental, mientras que Centroamérica se prepara también, donde se espera que desde la tarde de este lunes la Región Autónoma del Caribe Norte, en Nicaragua, empiece a sentir fuertes vientos y lluvias.

Los vientos con fuerza de huracán se extienden hasta unos 55 kilómetros (35 millas) desde el centro de Iota, mientras que los de fuerza de tormenta tropical se extienden hasta unos 240 kilómetros (150 millas).



Los meteorólogos prevén que en partes del noreste de Nicaragua y el norte de Honduras Iota produzca hasta 30 pulgadas (750 mm) de acumulación de lluvias, con el consecuente peligro de fuertes inundaciones repentinas, desbordes de ríos y deslizamientos de tierra.

En las costas de Nicaragua y Honduras, el NHC advierte sobre la 'peligrosa' marejada ciclónica que elevará el mar hasta unos 20 pies (6 metros) por encima de su nivel normal.

El pasado 3 de noviembre, el huracán de categoría 4 Eta tocó tierra en la costa noreste de Nicaragua, con vientos máximos sostenidos de 140 millas por hora (220 kilómetros por hora).

Según cálculos de este país centroamericano, Eta dejó unas 1.890 casas destruidas y otras 8.030 con daños parciales.

Hasta ahora ha habido 30 tormentas tropicales con nombre, de las cuales 13 han sido huracanes y, de estos, 6 han sido mayores.

Queda hasta el 30 de noviembre para que se acabe oficialmente la temporada de huracanes en el Atlántico.