28/02/2026
12:57 AM

En vivo: Iota es una 'bestia natural', un súper huracán

  • Actualizado: 16 noviembre 2020 /

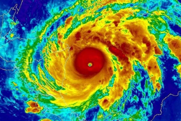
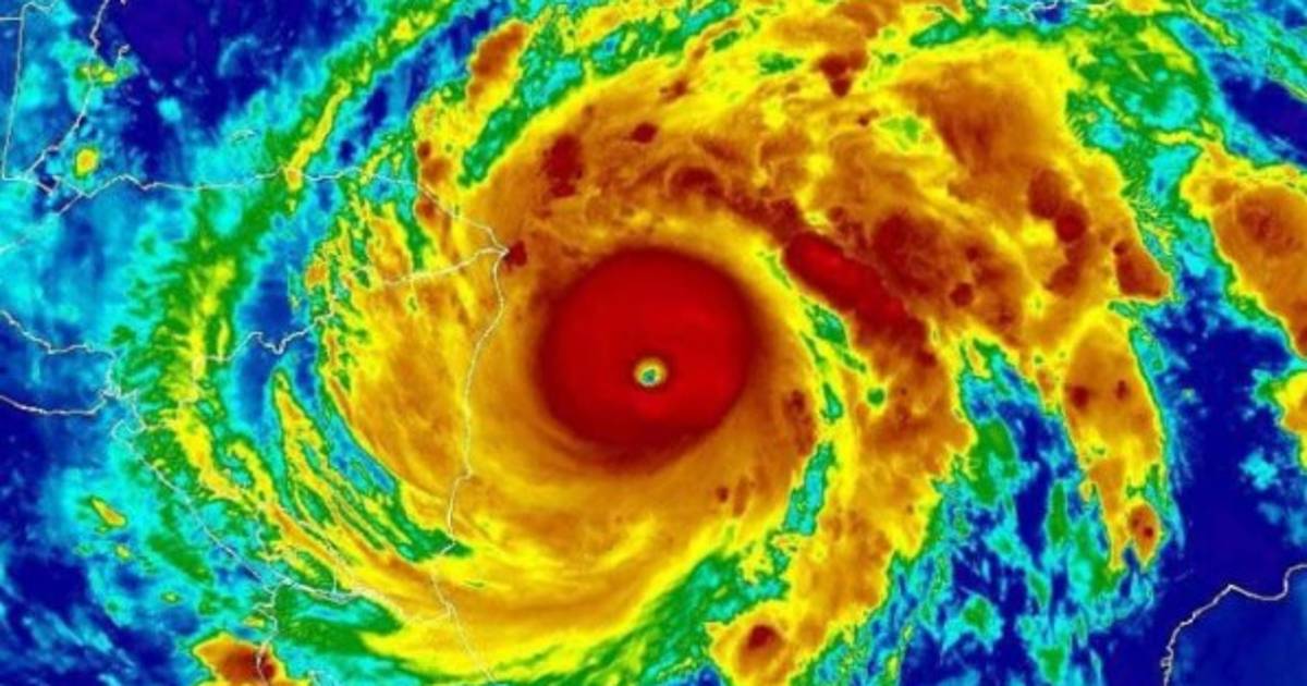
La fuerza de los vientos de Iota, en categoría 5, puede destruir por completo edificios y puede provocar olas de más de seis metros.

Tegucigalpa, Honduras

Iota se convirtió este lunes en un huracán de categoría máxima 5 en la escala de Saffir-Simpson y en el más fuerte de la temporada ciclónica en el Atlántico.

De acuerdo con el Centro Nacional de Huracanes (NHC) de Estados Unidos, el huracán Iota alcanzó la categoría máxima después de superar los vientos sostenidos de más de 251 km/h.

Fecha
El 30 de noviembre se acaba oficialmente la temporada de huracanes en el Atlántico.
La fuerza de los vientos de Iota, en categoría 5, puede destruir por completo edificios y puede provocar olas de más de seis metros, por lo que las inundaciones pueden afectar buena parte de las casas ubicadas en la zona costanera afectada.

El súper huracán Iota es una 'bestia natural' por sus potentes vientos máximos de más de 260 kilómetros por hora (160 m/h) en su ruta hacia el noreste de Nicaragua y el este de Honduras.

La dimensión de Iota abarca gran parte de Centroamérica lo que lo hace extremadamente peligroso y sus vientos se extienden a más de 500 kilómetros cubriendo casi todo el territorio hondureño.

Iota, que una vez toque tierra se debilitará hasta disiparse el miércoles, se desplazaba a 15 kilómetros por hora (9 m/h) con dirección oeste y se ubica 65 kilómetros (40 m) al oeste de la isla caribeña de Providencia y 160 kilómetros (100 m) al este-sureste de Puerto Cabezas, en Nicaragua.

Los meteorólogos prevén que en partes del noreste de Nicaragua y el norte de Honduras Iota produzca hasta 30 pulgadas (750 mm) de acumulación de lluvias, con el consecuente peligro de fuertes inundaciones repentinas, desbordes de ríos y deslizamientos de tierra.

Iota se vuelve más peligroso para Honduras

El Sistema Nacional de Gestión de Riesgo (Sinager) informó hoy en San Pedro Sula que el huracán Iota pasó a categoría 5 y 'eso lo hace sumamente peligroso y mortal'.

En comparecencia de prensa, el ministro de Gestión de Riesgo y Contingencias Nacionales (Copeco), Max Gonzáles, dijo que ante la llegada de este fenómeno natural 'se espera que traiga vientos catastróficos e impactos de lluvias extrema para nuestro país”.

'Por lo tanto -subrayó Gonzáles- las evacuaciones obligatorias que anunciamos en cadena nacional ayer han sido un éxito, pero falta por evacuar, y vamos a continuar haciéndolo, porque lo más importante es salvaguardar sus vidas'.

Agradeció públicamente la colaboración de las autoridades municipales del departamento de Cortés, ya que 'con el apoyo conjunto de ellos será más fácil dar respuesta inmediata a nuestros hermanos en cada rincón del país, en especial de aquellos que se encuentran en situación de riesgo y vulnerables'.