23/01/2026
09:02 AM

Migrantes: Huracán Harvey provoca tormentas en noreste de México

  • Actualizado: 25 agosto 2017 /

Para el sábado se prevén vientos de más de 60 kilómetros por hora y la posible formación de torbellinos en Coahuila, Nuevo León y Tamaulipas.

México

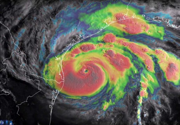
El huracán Harvey, de categoría 4, causará en las próximas horas tormentas intensas en el noroccidental estado mexicano de Tamaulipas, frontera con EE.UU., con rachas de viento de más de 70 kilómetros por hora, pronosticó hoy el Sistema Meteorológico Nacional (SMN).

En su reporte de las 22.00 GMT, el SMN también prevé la posible formación de tornados en territorio mexicano, que alcanzarán el norte de Nuevo León y de Coahuila.

Para el sábado se prevén vientos de más de 60 kilómetros por hora y la posible formación de torbellinos en Coahuila, Nuevo León y Tamaulipas, a causa de Harvey, que se espera toque tierra en los estados de Texas y Luisiana, en Estados Unidos.

El Meteorológico mexicano pronosticó lluvias 'muy fuertes' para los estados de Coahuila, Nuevo León, Sinaloa, Nayarit, Jalisco, Colima, Michoacán, Puebla, Oaxaca, Veracruz y Chiapas.

En Sonora, Chihuahua, Durango, Estado de México, Ciudad de México, Morelos, Tlaxcala, Guerrero, Tabasco, Campeche, Yucatán y Quintana Roo se prevén 'tormentas fuertes'.

Estas lluvias pueden ser acompañadas por actividad eléctrica, rachas de viento de más de 60 kilómetros por hora y posible caída de granizo al paso de los sistemas de tormenta.

Estos efectos en el país serán ocasionados por la presencia de Harvey sobre Texas (EE.UU.), la onda tropical 30 en el sureste de México y un canal de baja presión sobre el occidente.

Harvey se convirtió en un 'poderoso' ciclón de categoría 4 en la escala de intensidad Saffir-Simpson, de un máximo de cinco, y los expertos del Centro Nacional de Huracanes de EE.UU. vaticinan que tocará tierra en la costa central de Texas la noche de este viernes.