15/01/2026
09:47 PM

Huracán Julia tocó tierra en Nicaragua esta madrugada y se acerca más a Honduras

  • Actualizado: 09 octubre 2022 /

La Comisión Permanente de Contingencias (Copeco) declaró alerta amarilla en todo el país.

Tegucigalpa, Honduras.

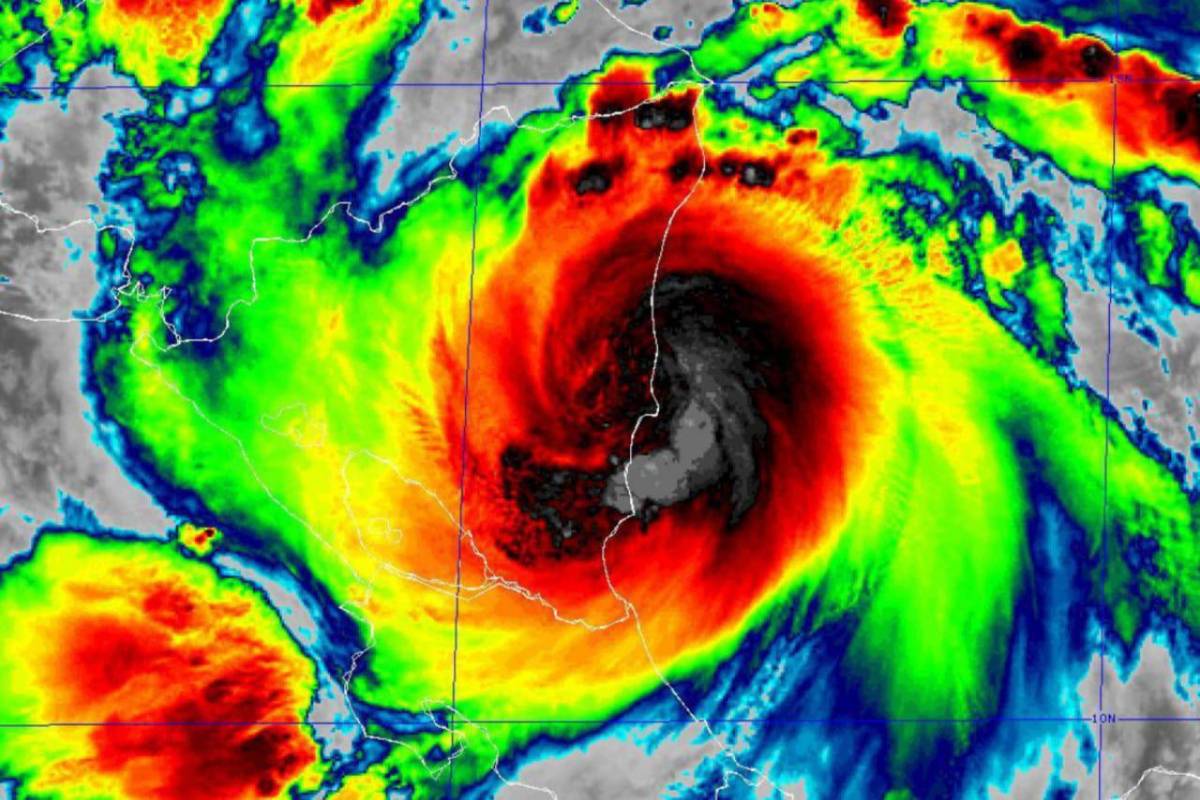
El centro del huracán Julia, de categoría 1 y con vientos de hasta 140 km/h, ha tocado tierra en la costa caribeña nicaraguense, cerca de la Laguna de las Perlas, informó el Centro nacional de Huracanes de Estados Unidos.

“Datos satelitales y de radar de Nicaragua indican que el centro de Julia ha tocado tierra a lo largo de la costa cerca de Laguna de Perlas, en Nicaragua, a las 07.15 GMT, con unos vientos sostenidos al tocar tierra de 85 mph (140 km/h).

Las bandas frontales de Julia empezaron a sentirse en territorio continental nicaragüense a las 19.00 horas local (01.00 horas GMT del domingo), según informó el Instituto Nicaragüense de Estudios Territoriales (Ineter).

Horas antes, miles de pobladores fueron evacuados hacia centros de refugio temporales, especialmente quienes viven en cayos e islas de alto riesgo en el mar Caribe, así como en el litoral.

Según el Sistema Nacional para la Prevención, Mitigación y Atención de Desastres (Sinapred), entre 6.000 y 7.000 personas fueron evacuadas de los Cayos Perlas e islas del mar Caribe frente a las costas de Nicaragua.

También hubo evacuaciones en las zonas de alto riesgo de Laguna de Perlas, con 18.314 habitantes, donde ha tocado tierra el huracán.

Una vez ha tocado tierra, se espera que la trayectoria se mueva a través de Nicaragua, para luego llegar a las costas del Pacífico de Honduras, El Salvador y Guatemala a lo largo del lunes.