24/04/2026
09:56 AM

Huracán Florence: 185 mil hondureños amenazados en cinco estados en EEUU

  • Actualizado: 12 septiembre 2018 /

El consulado de Honduras en Atlanta habilitó una línea telefónica para que los afectados por el ciclón soliciten información sobre albergues y rutas de evacuación.

Georgia, Estados Unidos.

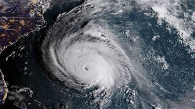
Autoridades de Honduras llamaron a los más de 185,000 inmigrantes hondureños residentes en cinco estados de la costa este de Estados Unidos a acatar las advertencias de evacuación en las zonas que serán impactadas por el peligroso huracán Florence, que se prevé tocará tierra este jueves por la noche en Carolina del Norte.

Los estados en emergencia son: Georgia, Carolina del Norte, Carolina del Sur, Virginia y Maryland. Además de cierta parte de Washington DC.

La cónsul general de Honduras en Atlanta, María Fernanda Rivera, indicó en entrevista con Diario La Prensa que se ha habilitado una línea de emergencia para que los hondureños puedan solicitar información sobre los albergues disponible, estados que han decretado órdenes de evacuación obligatorias ante la llegada del ciclón.

'A nivel de consulado nos estamos preparando para asistir a nuestros compatriotas en los estados afectados por el huracán, estamos en constante monitoreo de FEMA y otras agencias locales, dando seguimiento a las órdenes ejecutivas y de evacuación y habilitamos el número de teléfono (770) 899-1942 disponible las 24 horas para que nos llamen o nos escriban al WhatsApp para solicitar información sobre albergues y rutas de evacuación', informó Rivera.

Florence, que se debilitó esta tarde a categoría 3, se fortalecerá en las próximas horas y golpeará la costa atlántica de EEUU con una fuerza devastadora dejando graves lluvias, vientos huracanados e inundaciones.

Rivera instó a los hondureños indocumentados a salir de las zonas costeras ante la gravedad del ciclón y refugiarse en los albergues puestos a disposición por las autoridades estadounidenses.

'Los hondureños que se encuentren en la costa deben salir de las zonas de riesgo, no importa su estatus migratorio, serán recibidos en los albergues. Las autoridades migratorias han suspendido los operativos ante la emergencia por el huracán. Hay algunos que tienen familiares en las ciudades más céntricas y pueden buscar refugio allí', agregó la cónsul.

Vea: ICE suspende redadas en las Carolinas por huracán Florence

Según datos de Cancillería, más de 110 mil hondureños residen en los estados de Carolina del Sur, Carolina del Norte y Georgia, en emergencia junto a Virginia y Washington D.C. por el 'extremadamente peligroso' huracán.

Se prevé que Florence se desvíe este domingo hacia el sur en dirección a Georgia, que hoy se sumó a las declaratorias de emergencia en previsión de las fuertes lluvias y marejadas esperadas.

'Recalcamos a los compatriotas salvaguardar sus vidas y las de sus familiares, pueden llamarnos para darles información sobre los albergues más cercanos', insistió la funcionaria hondureña.

Los hondureños residentes en Virginia y Washington D.C. pueden llamar a la línea de emergencia (770) 645-8881.

Estos son los albergues habilitados por las autoridades estadounidenses hasta el momento.