31/12/2025
07:01 PM

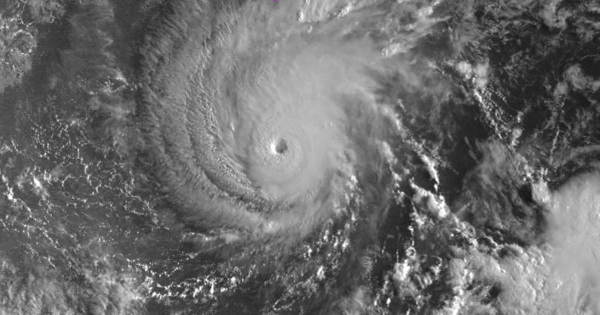
Hawái se prepara para la furia del huracán Lane

  • Actualizado: 22 agosto 2018 /

Se espera que la tormenta se debilite en las próximas 48 horas, pero igual amenaza con golpear fuertemente.

Honolulú, Estados Unidos.

El huracán Lane se debilitó un poco en la madrugada del miércoles pero igual golpeará con fuerza a Hawái, con las autoridades en alerta ante los fuertes vientos, gran oleaje y lluvias torrenciales capaces de causar inundaciones y deslizamientos de tierra.

Lane bajó de categoría 5 -la máxima posible, que mantuvo brevemente- a 4, con vientos máximos sostenidos de 250 km/h y viajando desde el sur hacia las principales islas de este estado estadounidense en el medio del Pacífico, indicó el Servicio Meteorológico de Estados Unidos (NWS).

'El núcleo de Lane se moverá muy cerca o sobre las principales islas hawaianas desde el jueves hasta el sábado', señaló.

Las autoridades esperan que la tormenta se debilite en las próximas 48 horas, pero igual amenaza con golpear fuertemente.

'No es posible predecir qué islas serán más golpeadas por los efectos de tormenta en este momento debido a la proximidad del huracán a las islas de Hawái y la incertidumbre en el curso de Lane', indicó el Centro de Huracanes del Pacífico Central (CPHC) en un boletín.

'Los pronósticos del CPHC continúan mostrando que todas las islas corren riesgo por los efectos del núcleo del huracán Lane', acotó el boletín, que advirtió que puede haber 'ajustes futuros en la trayectoria y pronóstico de intensidad'.

Se esperan acumulaciones de entre 250 y 380 mm de lluvia, con hasta 500 mm en algunas zonas.

Los huracanes rara vez tocan tierra en Hawái. La última vez que ocurrió fue en 1992 cuando Iniki golpeó la isla de Kauai, dejando un saldo de seis fallecidos y 3.000 millones de dólares en daños.

La Agencia Federal para el Manejo de Emergencias (FEMA) dijo en una rueda de prensa que un equipo de 150 efectivos -incluidos equipos de búsqueda y rescate- fue desplegado para encarar esta tormenta, con raciones de agua y comida para los afectados.

'No es si [el estado] va a ser impactado o no, vamos a ver impactos de esta tormenta', dijo el jefe del organismo, Brock Long. 'La prioridad es la seguridad de la gente. Le pedimos que acaten de forma proactiva las alertas' emitidas por las autoridades.

Vicente Rodríguez cubría este miércoles como muchos las ventanas de su casa en Honolulú con tablones de madera para 'no correr ningún riesgo' con su familia, según dijo a un fotógrafo de la AFP.

Otros también compraban agua y víveres para los próximos días.

- Pocos albergues -

El gobernador David Ige firmó por adelantado una declaración de emergencia para encarar los daños del fenómeno y ordenó el cierre de escuelas públicas.

'Lane no es un huracán bien comportado', dijo en un comunicado. 'Nunca había visto cambios tan dramáticos en una trayectoria como en esta tormenta' por lo que 'exhorto a nuestros residentes y visitantes a tomar esta amenaza en serio y prepararse para un impacto significativo'.

La Casa Blanca espera un 'impacto significativo' en la isla, dijo la secretaria de prensa Sarah Sanders, que indicó que el presidente Donald Trump fue informado de la situación por la secretaria de Seguridad Nacional, Kirstjen Nielsen.

'El presidente está preocupado por el bienestar de todos los hawaianos, FEMA trabajará en estrecha coordinación con Hawái y apoyará en lo que sea que necesiten', dijo Sanders a periodistas.

Más temprano, Trump pidió en la red Twitter a los residentes de Hawái 'preparase' para la llegada del huracán. 'Manténganse a salvo', escribió.

La Marina de Estados Unidos informó por su parte que moverá todos los barcos y submarinos del puerto de Pearl Harbor fuera de la trayectoria del huracán para evitar daños y poder ser usados, si fuera necesario, en las labores de emergencia.

El martes, el administrador de la agencia de emergencias de Hawái, Tom Travis, dijo en una rueda de prensa que una prioridad era administrar los albergues porque la capacidad es inferior a la población.

'La política de refugio debe ser, si no está en una zona de inundación, debe quedarse en casa'.