17/12/2025
02:40 PM

Se forma la 'bestia natural', el súper tifón Goni más potente de 2020

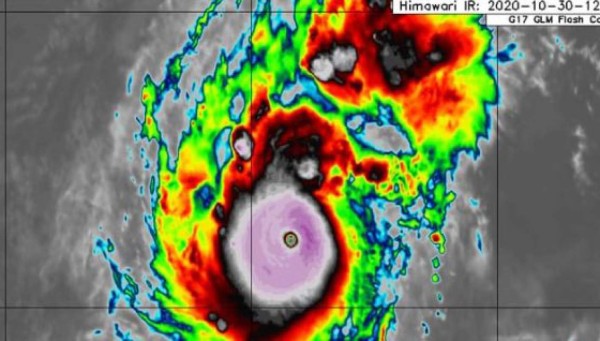
El súper tifón Goni se acerca al norte de Filipinas. Es la tormenta más intensa del año en el planeta.

Manila, Filipinas

El súper tifón Goni que se formó en las últimas horas en el Océano Pacífico se acerca y va directamente hacia Filipinas, según la oficina meteorológica local.

Según los informes, el tifón Goni es ahora un súper tifón y se prevé que sus vientos alcancen los 249 kilómetros por hora.

Se espera que Goni toque tierra en las provincias orientales de Aurora y Quezón y atraviese Luzón Central en la tarde del 1 de noviembre o en la mañana del 2 de noviembre.

Los expertos lo han llamado una 'bestia natural' por sus potentes vientos máximos de más de 200 kilómetros.

De acuerdo con el satélite meteorológico, es la tormenta más intensa del año en el planeta, y probablemente alcance rápidamente la categoría 5 por los efectos del cambio climático.

Se pronostica que en las próximas horas llegue a sostener vientos de 249 kilómetros por hora. También se espera que toque tierra en Vietnam como tormenta tropical.