22/04/2026
12:01 AM

Tres Muertos y miles de evacuados en Filipinas por el tifón más potente de 2013

  • Actualizado: 08 noviembre 2013 /

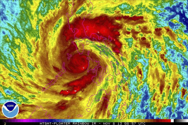
Unas 13 provincias se encuentran en alerta roja por el paso del tifón, de unos 600 kilómetros de diámetro.

Manila, Filipinas.

Tres personas han muerto y miles han sido evacuadas en Filipinas ante la llegada de Haiyan, el tifón más potente de 2013, que hoy tocó tierra en el archipiélago con ráfagas de viento de hasta 275 kilómetros por hora.

Según el último balance de las autoridades, unas 700.000 personas se han visto afectadas en el centro del país, donde la tormenta ha causados importantes cortes eléctricos, ha obligado a cancelar vuelos y cerrar aeropuertos y también a suspender las clases.

El Consejo Nacional de Gestión y Reducción de Desastres indicó que dos personas murieron electrocutadas después de que el tifón tumbara varias líneas de tendido eléctrico, mientras la tercera víctima pereció tras golpearle un poste de la luz.

Además, al menos otras siete personas han resultado heridas, la mayor parte por la caída de objetos, informó en rueda de prensa el portavoz del organismo filipino, Reynaldo Balido.

La agencia gubernamental también indicó que Haiyan, que ha arrasado la vegetación de la zona litoral y se ha llevado por delante numerosas viviendas, forzó a unas 125.000 personas de 22 provincias filipinas a refugiarse en 109 centros de evacuación.

El tifón, bautizado como Yolanda por los organismos filipinos, tocó tierra alrededor de las 4.30 hora local (20.30 GMT del jueves) en la localidad de Guiuan, en la provincia de Leyte, en el centro de Filipinas, y cruza el país de este a oeste.

Según el Consejo, 13 provincias se encuentran en alerta roja por el paso del tifón, de unos 600 kilómetros de diámetro.

Desde el pasado miércoles el Gobierno filipino ha llevado a cabo labores preventivas en las que se distribuyeron embarcaciones de rescate, ayuda de emergencia y suministros médicos a las zonas estratégicas.

Haiyan, calificado por agencias meteorólogas estadounidenses y filipinas como un 'súper tifón' por haber alcanzado vientos sostenidos de más de 240 kilómetros por hora, ha dejado incomunicadas las zonas de Samar y Leyte tras causar daños en las infraestructuras telefónicas.

Estas dos provincias se han quedado además sin electricidad, al igual que la isla de Bohol, que hace menos de un mes fue sacudida por un terremoto de 7,2 grados de magnitud que dejó más de 220 muertos y extensos daños en las infraestructuras.

La ministra de Bienestar y Desarrollo, Dinky Soliman, aseguró a la emisora local ANC que se espera que unos 7,9 millones de familias se vean afectadas por el súper tifón, que los medios locales califican como 'uno de los peores de la historia'.

Por ello, el Ministerio ha habilitado 562 centros de evacuación y 27.550 paquetes familiares de alimentos básicos, según informó el Consejo en la rueda de prensa.

Por su parte, el Ministerio de Transportes apuntó que se han cancelado más de 450 vuelos, 8 de ellos internacionales, y que 13 aeropuertos del país han cerrado sus puertas.

Los Guardacostas de Filipinas señalaron además que unas 3.000 personas se han quedado atrapadas en varios puertos marítimos de la región afectada por el tifón.

El Ministerio de Educación apuntó que se prevé que más de 7.300 colegios se vean afectados por el Haiyan y aseguró que facilitará un servicio de ayuda psicológica para los estudiantes una vez se reinicien las clases.

Según la agencia meteoróloga de Filipinas, PAGASA, se prevé que Haiyan, que avanza rápidamente a una velocidad de 40 kilómetros por hora, abandone territorio filipino esta noche, entre las 20.00 y las 22.00 hora local (12.00 y 14.00 GMT) y salga de la zona de responsabilidad marítima del país mañana por la mañana.

La rapidez con la que se mueve el tifón, el vigésimo cuarto tifón que llega a Filipinas este año, llevó a que en la región de Visayas Oriental, que tocó primero, ya se haya iniciado las labores de limpieza.