23/01/2026
08:17 AM

Matthew y Mitch ¿De dónde se originan estos nombres?

  • Actualizado: 07 octubre 2016 /

Para los expertos es más fácil recordar el nombre de una persona que un número o términos técnicos.

San Pedro Sula, Honduras

Matthew (2016), Katrina (2005), Mitch (1998) y Tracy (1974) ¿Por qué estos huracanes tienen nombres de personas y quién lo decide? La práctica de nombrar a los huracanes comenzó hace años para ayudar a una rápida comprensión y facilitar la difusión de las alertas.

Para los expertos es más fácil recordar el nombre de una persona que un número o términos técnicos.

Cada año se prepara una lista con los nombres que recibirán los huracanes que se vayan sucediendo a lo largo de la temporada.

Listas de nombres que se repiten cada 6 años

Estas listas se repiten cada 6 años e incluyen un nombre por cada letra del alfabeto y alternan nombres masculinos con femeninos.

Un sistema de nomenclaturas de la OMM asigna un nombre de mujer o de hombre a los sistemas tropicales que van surgiendo cada año de acuerdo a listas preestablecidas, que establecen un nombre por cada letra del alfabeto, a excepción de las letras Q, U, X Y y Z.

El listado de nombres para los ciclones del Atlántico se creó en 1953 por el Centro Nacional de Huracanes de EUA y se ha utilizado como estándar para las listas de otras regiones del mundo.

¿Qué se hace para evitar que se repitan nombres de huracanes destructivos?

Para huracanes como Matthew, la Organización Meteorológica Internacional decide retirar el nombre por los graves daños causados y las muertes producidas.

Según esta organización la única forma de cambiar un nombre es 'cuando se produzca una tormenta tan mortal o costosa que su uso en el futuro resulte inapropiado por razones de sensibilidad'.

Se recuerdan mucho estos nombres: Katrina (2005), Mitch (1998) y Tracy (1974) y tampoco están en la lista por las catástrofes que produjeron.

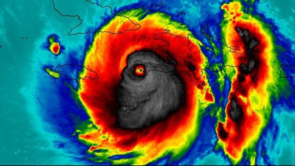
Esta foto captada desde el espacio sobre el huracán Matthew generó bastante curiosidad y no tardó en hacerse viral.