24/03/2026
07:43 AM

Alerta en EUA: Huracán Joaquín sube a categoría 4

  • Actualizado: 01 octubre 2015 /

La ciudad de Nueva York se prepara ante un posible impacto de Joaquín durante el fin de semana.

Nueva York, Estados Unidos.

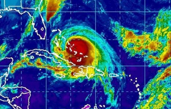
El poderoso huracán Joaquín alcanzó la categoría 4 en escala de 5 golpeando este miércoles con vientos de 205 km por hora y lluvias a las Bahamas, mientras la costa este de Estados Unidos se mantiene en alerta ante la posibilidad de ser impactada por el ciclón.

El ojo de Joaquín se encontraba sobre los cayos Samana de Bahamas, señalaron los meteorólogos, que advirtieron que el huracán puede seguir fortaleciéndose en las horas siguientes y alcanzar la categoría 5 de la escala Saffir-Simpson convirtiéndose en una Supertormenta.

El huracán continuará moviéndose el jueves lentamente alrededor de Bahamas, lo que significa que impactará por 'un prolongado periodo' la cadena de islas del Atlántico, cercana al estado norteamericano de Florida.

Se preparan en Nueva York

El gobernador del estado de Nueva York, Andrew Cuomo, anunció hoy que se han empezado a adoptar medidas de precaución para estar 'lo más preparados posibles' ante la posibilidad de que el huracán Joaquín, actualmente sobre las Bahamas, pueda acercarse a la costa este de EUA.

'No sabemos exactamente cuando llegaría, pero sea lo que sea y sea cuando sea, queremos estar lo más preparados posibles', dijo el gobernador Cuomo en un encuentro con la prensa para informar de las medidas que se han empezado a adoptar.

Cuomo anunció que los centros de coordinación de emergencias estarán operativos a partir de esta noche y tanto la Autoridad Portuaria como la Autoridad Metropolitana del Transporte (MTA) ya han empezado a adoptar medidas de precaución.

'No hay duda de que estamos mucho mejor preparados que antes de Sandy y se ha mejorado mucho porque aprendimos la lección por la vía difícil', añadió el gobernador, quien subrayó que hay cosas que se pueden hacer 'antes de que sea demasiado tarde'.

Lea más: Comparan al huracán Joaquín con 'Sandy'

Además: Se forma el huracán Marty en la cuenca del Pacífico

El huracán Sandy impactó Nueva York en octubre de 2012 y dejó a su paso un total de 61 muertos en el estado, pérdidas económicas valoradas en unos 65.000 millones de dólares y graves problemas en la red de transporte público.

De momento se han dado instrucciones a unos 3.000 agentes de la Guardia Nacional para que estén listos por si tienen que actuar en los próximos días. A partir del sábado y el domingo el huracán se movería en dirección norte con rumbo paralelo a la costa este de Estados Unidos, pero lejos de tierra.