Honduras declaró alerta roja en los departamentos de Valle y Choluteca ante el pronóstico de lluvias, deslizamientos y saturación del suelo a causa de la tormenta Nate, informó este viernes la Comisión Permanente de Contingencias ( Copeco).
Se 'emite Alerta Roja para los departamentos de Valle y Choluteca', confirmó la institución en su cuenta oficial de Twitter.
Además mantiene en alerta amarilla en los restantes 16 departamentos del país, en donde Nate ha dejado tres personas muertas y se reportan daños en carreteras y el crecimiento en los caudales de los ríos.
Las lluvias han afectado el sur de Honduras, en donde los deslaves han imposibilitado desde el jueves en la noche el paso en la carretera que conduce de Tegucigalpa -capital hondureña- hacia el sureño departamento de Choluteca.
También se registró el daño en la carretera hacia Ruinas de Copán, occidente del país, en donde las autoridades intentaban despejar la vía.
Las lluvias a causa de la tormenta se registran desde el jueves, siendo mpász prolongadas y con mayor intensidad el viernes, cuando se espera que empiece a afectar la zona insular de Islas de la Bahía.
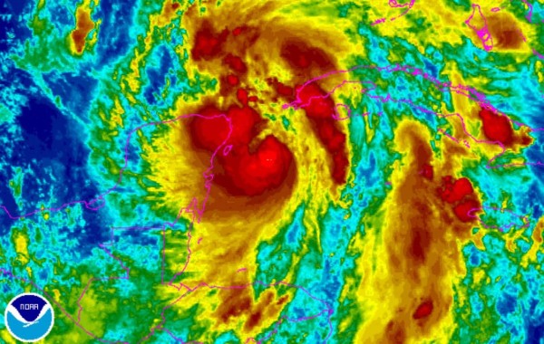
La tormenta tropical Nate, que avanza este viernes por la costa del Caribe de Honduras rumbo a México y Estados Unidos, ha dejado 22 muertos en Centroamérica y una completa devastación a su paso.
Costa Rica, Nicaragua y Honduras, los países más golpeados por Nate, comenzaban a hacer el recuento de los daños, en momentos en que las lluvias parecían dar una tregua.
La tormenta dejó 11 muertos en Nicaragua, ocho en Costa Rica y tres en Honduras, además de numerosos desaparecidos, según los cuerpos de socorro.
Entre tanto, comunidades continúan aisladas por la destrucción de puentes, inundación de carreteras, ríos desbordados y deslaves que arrasaron casas y caminos, mientras la saturación de agua en los suelos amenaza con nuevos derrumbes.
Significado de las alertas
****
Alerta verde: Activar el comité de monitoreo y vigilancia, tener vigilancia permanente sobre el desarrollo del evento, actualización de los planes de respuesta, revisión y mantenimiento de los recursos locales e institucionales.
Alerta amarilla: Mantener la vigilancia sobre la evolución del fenómeno. Activar y verificar los comités de comunicaciones, evacuación, albergue, logística, asistencia humanitaria y determinar la cantidad de recursos disponibles para brindar apoyo a la población.
Alerta Roja: Confirma el impacto de un fenómeno que podría causar daños catastróficos en el territorio nacional, o en determinadas regiones; ante el riesgo que se pierdan valiosas vidas, la evacuación en las zonas de mayor riesgo es obligatoria. Todos los organismos de socorro bajo la coordinación de Copeco, trabajan en atender la emergencia, principalmente para preservar la vida de las personas.
