16/04/2026
08:11 PM

Huracán Eta podría llegar a categoría 4 antes de impactar en Honduras y Nicaragua

  • Actualizado: 02 noviembre 2020 /

El efecto de sus vientos y lluvias en Centroamérica pueden ser marejadas ciclónicas, inundaciones repentinas y deslizamientos de tierra.

Miami, Estados Unidos

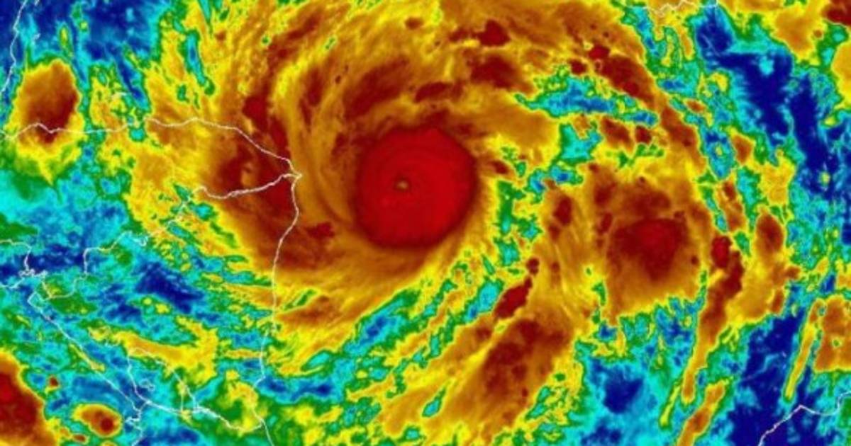
Eta, que se fortaleció durante la noche hasta ser un huracán con vientos máximos sostenidos de 90 millas por hora (150 km/h), avanzaba este lunes por el Caribe hacia Honduras y Nicaragua, país este último donde tocará tierra el martes de madrugada probablemente de categoría 'mayor'.

El efecto de sus vientos y lluvias en Centroamérica pueden ser marejadas ciclónicas, inundaciones repentinas y deslizamientos de tierra, advirtió el centro Nacional de Huracanes (NHC, en inglés) de Estados Unidos.

A las 12.00 GMT, según el NHC, Eta estaba unas 140 millas (225 km) al este del cabo Gracias a Dios en la frontera entre Nicaragua y Honduras, y unas 165 millas (265 km) al este noreste de Puerto Cabezas, en Nicaragua.

El huracán Eta, el décimo segundo de esta temporada en el Atlántico se movía a 10 millas por hora (17 km/h) en dirección oeste y así continuará durante la primera parte del día.

Después hará un lento giro hacia el oeste-noroeste y seguirá en ese rumbo hasta el martes a a vez que sus vientos cobran más fuerza en el avance.

Según el patrón de trayectoria, el centro de Eta se aproximará a la costa nororiental de Nicaragua esta tarde y tocará tierra en algún punto entre la frontera con Honduras y Sandy Bay Sirpi en la madrugada del jueves con fuerza de huracán mayor (3, 4 o 5 en la escala Saffir-Simpson).

En la categoría 3 están los huracanes con vientos entre 178 y 209 km/h, en la 4 los de 210 a 251 km/h y en la 5 los de 252 km/h y más.

Tras el impacto y el consiguiente debilitamiento, Eta permanecerá sobre el norte de Nicaragua hasta la madrugada del miércoles.

Toda esa zona esta bajo aviso de paso de huracán, pero hay otras advertencias emitidas por el NHC para la costa noreste de Honduras desde Punta Patuca a la frontera con Nicaragua y para la costa norte hondureña desde Punta Patica al oeste de Punta Castilla.

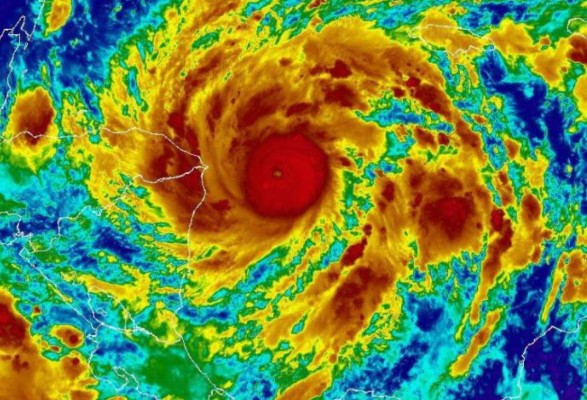
Fuerza del huracán Eta

Los vientos con fuerza de huracán se extienden hasta 25 millas (35 km) del centro de Eta y los vientos de tormenta tropical (más débiles) hasta 125 millas (205 km).

Aparte del viento y la lluvia, que afectará, además de a Nicaragua y Honduras, a partes de Guatemala, Belice, Panamá y Costa Rica, Jamaica, el sureste de México, El Salvador, el sur de Haití y las islas Caimán, el mayor peligro es la marejada ciclónica acompañada de un fuerte oleaje y corrientes.

El mar puede elevarse hasta 15 pies (4,5 metros) por encima de su nivel normal en la zona bajo aviso de huracán y hasta 10 pies (3 metros) en la zona de Honduras aledaña.

El oleaje va a afectar a partes de la costa de Centroamérica y la península de Yucatán (México) los próximos días.

Es la primera vez que se usa el nombre de Eta desde que se denomina a las tormentas de acuerdo con una lista anual, lo cual significa que 2020 es un año récord en el Atlántico.

Cuando se agota la lista, se usan las letras del abecedario griego y así ha sido este año hasta llegar a Eta.

Hasta ahora ha habido 28 tormentas tropicales con nombre, de las cuales 12 han sido huracanes, y queda todo noviembre para que se acabe oficialmente la temporada.