28/02/2026
12:57 AM

Semana Morazánica no se suspende, anuncia Sinager

  • Actualizado: 02 noviembre 2020 /

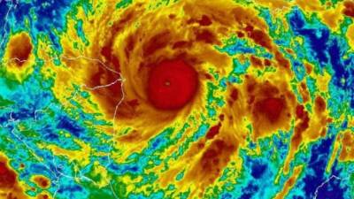
Las autoridades hicieron un llamado a los hondureños a mantenerse alerta por los efectos del huracán Eta.

San Pedro Sula, Honduras

El Sistema Nacional de Gestión de Riesgo (Sinager) anunció este lunes que por el momento la Semana Morazánica no se suspende, a pesar de las lluvias generadas por el huracán Eta.

Las autoridades hicieron un llamado a los hondureños a mantenerse alerta y ser prudentes por los efectos del huracán Eta que en las últimas horas alcanzó la categoría dos.

Dato
El huracán Eta está cerca de la frontera entre Nicaragua y Honduras.
'Si van a viajar háganlo de forma ordenada y con medidas de bioseguridad o reprograme su viaje si tenía reservación', sugirió Nicole Marder, ministra de turismo.

'No se suspende el Feriado Morazánico, aunque recordemos que primero está la vida de los hondurenos', dijo Marder

'En horas de la tarde nos reuniremos con los represenantes de la industria turística para saber cómo actuar ante este fenómeno', anunció.

La ministra de turismo recordó que esta no es la única semana para poder disfrutar del feriado.

También el coordinador General de Gobierno, Carlos Madero, llamó a la población a tener cuidado y estar alerta sobre los diferentes departamentos que están en alerta.

Copeco actualizará de cómo el huracán Eta irá degradándose y los lugares en donde habrá más presencia de lluvia.