22/02/2026
09:51 PM

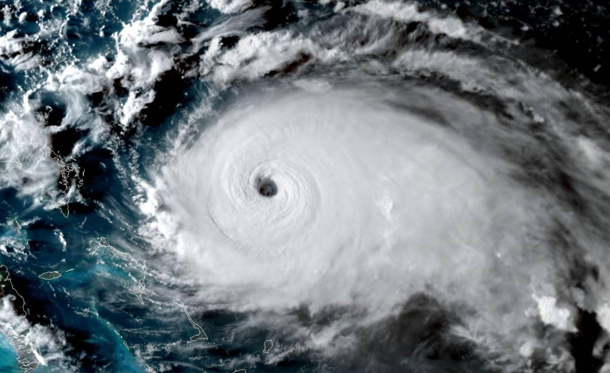
Copeco: Este 2024 podría haber “huracanes como el Mitch”

  • Actualizado: 15 abril 2024 /

La Secretaría de Gestión de Riesgos y Contingencias Nacionales (Copeco) advierte sobre la posibilidad de huracanes similares al devastador Mitch de 1998 para este 2024.

Tegucigalpa, Honduras-

Huracanes, como el mortal Mitch de 1998, podrían repetirse este 2024 en Honduras, advirtió este día la Secretaría de Gestión de Riesgos y Contingencias Nacionales (Copeco).

Copeco adelantó este lunes que la temporada ciclónica de este año representa mucho peligro para el territorio nacional.

Proyectan intensa temporada ciclónica en Honduras

“El pronóstico de la temporada ciclónica para este año en el Atlántico, elaborado por la Universidad Estatal de Colorado, indica que se podrían formar 23 tormentas tropicales, de las cuales 11 llegarían a ser huracanes y de estos, cinco podrían ser muy peligrosos. Estas cantidades superan a una temporada ciclónica promedio.

También menciona que el pronóstico de la temporada ciclónica de este año se podría parecer a lo que ocurrió en 1998 con el Huracán Mitch, 2010 con la Tormenta Tropical Agatha y 2020 con Eta y Iota”, advirtieron a través de un informe.

LA PRENSA conoció que esta Secretaría, ante los siniestros pronósticos, elaboró de emergencia un plan de contingencia que ya fue presentado a la presidenta Xiomara Castro.

También habrá una inversión de al menos 900 millones de lempiras.En tanto, Copeco aún se reservó elevar algún nivel de alerta, pero instaron a la población a no alarmarse y empezar a tomar medidas ante las probabilidades de los huracanes categoría 5.

Lluvias

La estación lluviosa se pronostica que inicie con un retraso de 5 a 10 días de las fechas habituales en mayo, pero una vez que empiece a llover, las precipitaciones serán más seguidas y de mayor cobertura en el territorio nacional.

“En términos generales, las lluvias de mayo serán parecidas o más que el promedio”, explicaron en el mismo escrito.

Mientras que en junio se espera que los primeros días no sean tan lluviosos, sino hasta en los últimos días sí se espera que sean menos precipitados, por lo que habrá acumulados de agua levemente por arriba del promedio.

Los departamentos más afectados serán los fronterizos con El Salvador, el sur de Comayagua, el sur de Francisco Morazán, Choluteca y los departamentos fronterizos con Nicaragua, como El Paraíso y Olancho; condiciones parecidas al promedio o un poquito menos en los departamentos de la región central y nororiental y lluvias menos que el promedio en el noroccidente.

Para julio se espera que la canícula empiece tarde y que no sea tan intensa, por lo que los acumulados de lluvia de julio de este año superarían el promedio en más de un 20 %, especialmente en la franja central que cruza el territorio nacional de norte a sur.

En ese sentido, para el mes de agosto se pronostican condiciones similares a las de julio, una canícula que estaría terminando temprano y menos intensa que el promedio, por lo que los acumulados de lluvia de agosto de este año superarían el promedio en más de un 20 %, especialmente en las regiones sur, central y parte de la región occidental.

Como se pronostica que el fenómeno de “La Niña” podría desarrollarse después del mes de julio, en septiembre habría lluvias parecidas al promedio, mientras que en octubre y noviembre las precipitaciones serían por arriba del promedio, es decir que durante estos meses las probabilidades de tener afectación directa o indirecta de ciclones tropicales es más alto que los últimos tres años, sin embargo, este pronóstico podría cambiar, dado que aún hay mucha incertidumbre en las previsiones para más de tres meses.

Ante tal situación, la Secretaría de Estado en Gestión de Riesgos y Contingencias Nacionales continúa en constante preparación para brindar respuesta a la población de manera oportuna y efectiva en las distintas emergencias, tales como las lluvias que dejan los distintos fenómenos meteorológicos.