18/12/2025
04:56 AM

Huracanes y cambio climático, las gráficas del desastre

Las temperaturas del planeta aumentan debido a “las emisiones de gases de efecto invernadero ligadas a la combustión del carbón, el petróleo y el gas”

Florida, Estados Unidos

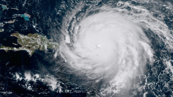
Muchos científicos están convencidos de que detrás de la descomunal magnitud de los huracanes Harvey e Irma está el cambio climático, pero, técnicamente, todavía no pueden decirlo alto y claro.

Los elementos de prueba están allí: subida del nivel del mar, “boom” de las temperaturas oceánicas, cambios atmosféricos, modelos informáticos que confirman la tendencia...

Pero falta un dato concluyente en ciencia del clima: la observación de ciclones durante un periodo suficientemente largo.

En resumen, es como si todos los elementos apuntaran al acusado de un crimen, pero faltaran sus huellas sobre el arma. “Es muy frustrante”, considera Dann Mitchell, especialista en circulación atmosférica de la Universidad de Bristol, en Gran Bretaña.

“Todavía no podemos decir con un 100% de certeza que lo que reforzó la intensidad de Irma fue el cambio climático, mientras que para otros fenómenos, como las canículas, ya podemos”.

El calor, fuente de energía de los huracanes. “La física es muy clara: los huracanes alimentan su energía destructora con el calor del océano”, subraya Anders Levermann, profesor de la Universidad de Potsdam, en Alemania, que recuerda que las temperaturas del planeta aumentan debido a “las emisiones de gases de efecto invernadero ligadas a la combustión del carbón, el petróleo y el gas”.

James Elsner, profesor de ciencia atmosférica en la Universidad Estatal de Florida, argumenta que “a nivel mundial, observamos que en estos últimos 30 años, las tormentas más fuertes se reforzaron debido al calentamiento de los océanos”.

Los expertos disponen también de un seguimiento a nivel mundial de los océanos, cuyo nivel aumentó un promedio de 20 cm desde los años 1880 y el inicio de la Revolución industrial.

“Sabemos que el nivel del mar sube y que seguirá subiendo con el cambio climático”, asevera Chris Holloway, especialista de huracanes de la Universidad inglesa de Reading. Esta alza agudiza la capacidad destructora de los huracanes, al reforzar las olas que penetran en tierra, agravando las inundaciones.

Hacia los polos

Pero todos estos argumentos, aunque son pruebas razonables, no son medidas directas sobre los huracanes y por ello, los científicos no son por ahora tajantes.

“La mayor intensidad de las tormentas es una consecuencia esperada del cambio climático, pero es demasiado temprano para decir que este huracán en particular fue reforzado por este fenómeno”, dijo Mitchell en referencia a Irma. Los científicos no disponen de suficientes datos porque los superhuracanes - de categoría 4 o 5 en la escala de Saffir-Simpson - son bastante inhabituales comparado con las canículas o las sequías.

Una muestra demasiado pequeña impide establecer tendencias, sobre todo teniendo en cuenta que los datos sobre los huracanes se remontan a solo unas décadas. Además, se trata de “fenómenos +ruidosos+’”, según Mitchell. Es decir, hay que poder diferenciar entre el “ruido” de las fluctuaciones meteorológicas naturales y los signos del cambio climático.

“Es como tratar de escuchar a alguien que está sentado a tu lado, mientras suena a todo volumen una música de fondo”, ilustra Sally Brown, investigadora de la Universidad de Sothampton (Gran Bretaña). “Habría que pedirle que repitiera varias veces lo que dice para estar seguros de haberla entendido”.

Pese a estas limitaciones, los científicos han logrado medir algunas tendencias, destacando sobre todo el trabajo de Jim Kossin, investigador de la Agencia Estadounidense Oceánica y Atmosférica (NOAA).

En 2014, Kossin demostró de manera irrefutable que, desde hace al menos 30 años, todos los ciclones tropicales en el mundo se acercan a los polos, a un ritmo de 50 a 60 km por década. Algo que solo puede deberse al cambio climático, según este experto.

“Los datos históricos son escasos, la mayoría están limitados al Atlántico y no son muy buenos”, resume Kerry Emanuel, del MIT de Boston.”La genialidad de Kossin consistió en descubrir que la latitud de las tormentas en su punto crítico era fácilmente detectable”. AFP