29/12/2025
09:05 PM

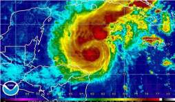
Rina se convierte en huracán frente a costas de Honduras

  • Actualizado: 24 octubre 2011 /

El Centro Nacional de Huracanes de EUA informó hoy que 'Rina' ganó fuerza y ya tiene categoría de huracán con vientos sostenidos de 120 km/hora.

Rina ganó fuerza rápidamente el lunes en el mar Caribe frente a costas de Honduras y ya tiene categoría de huracán, dijeron los meteorólogos estadounidenses.

El Centro Nacional de Huracanes, con sede en Miami, dijo que Rina era un huracán de categoría 1 con vientos máximos sostenidos de 120 kilómetros por hora (75 mph) y que se ubicaba a unos 314 kilómetros (195 millas) al suroeste de la isla Gran Caimán.

Los meteorólogos dijeron que el meteoro podría convertirse en un huracán de una categoría más peligrosa para la noche del martes, cuando podría tener vientos de 179 kph (111 mph).

Se prevé que Rina arroje por lo menos cinco centímetros (dos pulgadas) de lluvia a las Islas Caimán.

Tormenta tropical Rina puede convertirse en huracán el martes

La tormenta tropical 'Rina', cuyas lluvias están afectando el noreste de alerta cuando aún era la depresión tropical número 18.

Copeco mantenía anoche la alerta amarilla para los departamentos de Islas de la Bahía, Gracias a Dios, Colón, Atlántida, Olancho, Yoro, Choluteca y Valle por el ingreso del fenómeno. Pero hoy por la mañana podrían elevar a alerta roja a los departamentos costeros de Colón, Islas de la Bahía y Gracias a Dios.

La alerta verde se mantiene en los departamentos de Cortés, El Paraíso, Lempira, Francisco Morazán, La Paz, Intibucá, Comayagua, Ocotepeque, Santa Bárbara y Copán.

Según los análisis meteorológicos, en un período de 36 a 48 horas esta tormenta, que por la tarde se encontraba 170 kilómetros al noreste del Cabo de Gracias a Dios, podría dejar mucha lluvia sobre el país. Se desplaza a 55 kilómetros por hora en el litoral atlántico de Honduras. La amenaza del fenómeno es inminente y según Francisco Argeñal Pinto, del Servicio Meteorológico Nacional, SMN, la alerta de vigilancia se extiende de Puerto Castilla hasta Gracias a Dios.

Esta tormenta, a partir de la información proporcionada por el SMN, causará que las lluvias caigan sobre el territorio nacional y sus efectos se harán sentir en la región insular, Caribe y La Mosquitia hondureña. Para las demás regiones del país se esperan lloviznas leves e intermitentes.

El viento fresco continuará sobre las regiones norte y noroeste y el alto oleaje se estará registrando sobre el mar Caribe.

Grandes daños

Las lluvias han dejado terribles consecuencias en el país. Según el informe de Copeco, las personas fallecidas suman 29 y hay otras 61,000 afectadas.
El departamento con mayor número de víctimas mortales es Choluteca que suma nueve, le sigue Cortés con siete, Francisco Morazán, tres; Lempira, tres; Colón, tres; Yoro, dos; Atlántida, uno; e Intibucá, uno.

Hasta ayer las autoridades registraban 12,601 evacuados, 6,958 albergados, 2,341 damnificados, 2288 viviendas dañadas, 182 casas destruidas y 1,053 viviendas afectadas.
Las inundaciones también han afectado 54 vías y dañado otras 67. Hay 19 puentes afectados 22 dañados y 17 destruidos.

Las estadísticas registran dos edificios públicos destruidos y otros tres dañados.

Las inundaciones registradas en las últimas semanas han echado a perder 10,898 manzanas de agricultura. Muchas personas se han quedado sin los servicios básicos como agua y energía eléctrica. También ha habido daños en el alcantarillado sanitario.

La Coordinación de Asuntos Humanitarios, Ocha, de la ONU señala que al menos 101 personas han fallecido y hay más de 600,000 damnificados en América Central y México, debido a las lluvias torrenciales que azotan la región.

El Salvador y Guatemala son los países más afectados, donde la situación es catalogada como “muy grave”.

Elisabeth Byrs, portavoz de Ocha en Ginebra, señaló que los daños seguirán aumentando debido a que se pronostica que las lluvias continuarán en los próximos días.

Byrs, quien trabaja con los países de Centroamérica y los organismos humanitarios en la región, declaró que sólo El Salvador ha pedido ayuda.

Honduras al igual que el resto de Centroamérica sigue en peligro por las cambiantes actividades meteorológicas que amenazan con una nueva depresión tropical, según ha advertido el Centro Nacional de Huracanes de Estados Unidos, CNH.

En La Ceiba, las autoridades regionales de Copeco aseguran que se encuentran preparadas para cualquier tipo de emergencias que se pudieran presentar ante la formación de la nueva tormenta.

“Del nivel central se envió un contenedor con ayuda humanitaria para la regional, por lo que se procedió a suplir a Copeco ubicado en la ciudad de Tocoa, en el departamento de Colón, y se pueda tener todo lo necesario para las personas que puedan estar albergadas”, informó Florentino Martínez, director del Centro de Operaciones de Emergencia, COE.

La vía aérea esta funcionando de manera parcial, la terrestre no ha habido problemas en tanto la marítima ha estado restringida debido al alto oleaje, enfatizó.
Presidente llama a la calma

El presidente Porfirio Lobo Sosa realizó un llamado a los habitantes de los departamentos de Colón, Cortés y Gracias a Dios, para que se mantengan alertas ante los llamados de Copeco y así evitar tragedias.

“En la zona norte está lloviendo con muchísima intensidad desde hace varios días, el reporte de Copeco es que seguirá lloviendo, quiero que la población sepa que estaremos cerca de ellos para apoyarlos como lo hemos estado haciendo con los compatriotas de la zona sur”, expresó.

Lobo Sosa dijo que es su deber y obligación hacer un llamado a los residentes de la zona norte y La Mosquitia a que se mantengan pendientes de las inclemencias del tiempo, especialmente, aquellos que viven en sectores de alto riesgo.

Dijo que el Gobierno está preparado para movilizar ayuda a lo largo y ancho del país; no obstante, reiteró que el auxilio aéreo dependerá siempre de los niveles de aproximación que imperen en las regiones afectadas.

“Copeco está preparada para atender la demanda de los compatriotas de la zona norte del país, así como lo estamos haciendo en la zona sur; pero confiamos en Dios que la situación mejore y así no tener daños lamentables en los cultivos, la infraestructura vial, viviendas y otros”, señaló.

Igualmente, el titular del Ejecutivo reafirmó que además de construir las casas a las familias que las perdieron totalmente con las recientes lluvias, también reparará los hogares de escasos recursos vieron sus viviendas dañadas parcialmente.

Presidente llama a la calma

El presidente Porfirio Lobo Sosa realizó un llamado a los habitantes de los departamentos de Colón, Cortés y Gracias a Dios, para que se mantengan alertas ante los llamados de Copeco y así evitar tragedias.

“En la zona norte está lloviendo con muchísima intensidad desde hace varios días, el reporte de Copeco es que seguirá lloviendo, quiero que la población sepa que estaremos cerca de ellos para apoyarlos como lo hemos estado haciendo con los compatriotas de la zona sur”, expresó.

Lobo Sosa dijo que es su deber y obligación hacer un llamado a los residentes de la zona norte y La Mosquitia a que se mantengan pendientes de las inclemencias del tiempo, especialmente, aquellos que viven en sectores de alto riesgo.

Dijo que el Gobierno está preparado para movilizar ayuda a lo largo y ancho del país; no obstante, reiteró que el auxilio aéreo dependerá siempre de los niveles de aproximación que imperen en las regiones afectadas.

“Copeco está preparada para atender la demanda de los compatriotas de la zona norte del país, así como lo estamos haciendo en la zona sur; pero confiamos en Dios que la situación mejore y así no tener daños lamentables en los cultivos, la infraestructura vial, viviendas y otros”, señaló.

Igualmente, el titular del Ejecutivo reafirmó que además de construir las casas a las familias que las perdieron totalmente con las recientes lluvias, también reparará los hogares de escasos recursos vieron sus viviendas dañadas parcialmente.

Amhon pide reportar daños

Las carreteras en el sur de Lempira comenzaron a ser habilitadas luego que se destinara maquinaria para aquella zona, informó el diputado Gustavo Pérez.

En varios municipios del departamento hay serios daños en la infraestructura, por lo que algunos alcaldes ya enviaron informes y esperan ayuda.

La Asociación de Municipios de Honduras pidió, a través de un comunicado, a las municipalidades afectadas por las lluvias recientes que aún no han reportado daños materiales o pérdidas humanas, que lo hagan por medio de los formularios Edan, de la Comisión Permanente de Contingencias, Copeco.

La Asociación de Municipios de Honduras puso a disposición el correo electrónico amhoncomunicaciones@gmail.com para remitir de emergencia la información que se utilizará para atender cada municipio afectado.

La Amhon, desde el inicio de la emergencia, está integrada al Sinager, Sistema Nacional de Emergencias, en dos comisiones de trabajo, una que atiende las necesidades de ayuda inmediata, como alimentos básicos y ropa, y otra que trabaja en la planificación de la reconstrucción de infraestructura dañada o perdida.

La Amhon reiteró el llamado de solidaridad para los hondureños afectados a todos los municipios de Honduras que no se encuentran en emergencia y sugirió la canalización de ayudas a través de los Codem de sus municipios.

Los alcaldes del sur de Lempira informaron que no se han cuantificado del todo los daños, pues hay zonas donde no hay paso porque los caminos han cedido y los deslizamientos están a la orden del día.

Dos personas murieron en Lempira al no poder pasar la carretera, entre ellas una recién nacida.