27/02/2026
11:45 PM

Así se preparan los pobladores en la zona atlántica de Honduras ante el impacto de Eta

  • Actualizado: 03 noviembre 2020 /

Los albergues están listos en el municipio del Triunfo de la Cruz del departamento de Tela.

Tela, Atlántida.

Los pobladores de este municipio del Triunfo de la Cruz en Tela, zona atlántica de Honduras, se preparan para la llegada del huracán Eta.

En varias comunidades de esta región se reportan algunas zonas inundadas parcialmente, así como precipitación y vientos moderados.

Para ello, el patronato de esta zona elaboró un plan de guardia para resguardar a las familias en la noche, ante posibles inundaciones. Además, han preparado tres albergues locales en iglesias y escuelas.

Además lea: Fenómeno de espuma marina inunda una comunidad de Tela

Los pobladores sacaron de la orilla sus balsas y cayucos para evitar que el alto oleaje se los lleve. En el resto de Tela durante también se han reportado lluvias dispersas y el caudal del río Lancetilla bajó en horas del medio día, el cual el día ayer se había desbordado.

Sin embargo, el comité de Emergencia Municipal (Codem) se mantiene en alerta ante el desarrollo del ciclón. En el centro del municipio también hay tres escuelas listas como albergues, algunas familias ya han tenido que ser evacuadas.

Estas personas estaban ubicadas en una invasión contiguo al río Lancetilla y fueron albergadas en el polideportivo municipal, el cual tiene capacidad para 300 personas.

Foto: La Prensa

En mar ha expulsado espuma y según los habitantes este mismo comportamiento ocurrió con el paso del huracán Mith.
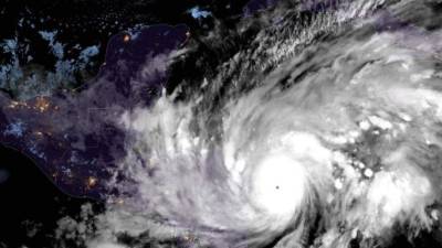
Eta se mantiene la categoría 4 en la escala Saffir Simpson y actualmente se encuentra ubicado a unos 156 kilómetros al Sur del Cabo de Gracias a Dios, manteniendo su velocidad de desplazamiento por el mar Caribe a una velocidad de 06 Km/h, con destino a la Costa Caribe Nicaragüense, registrando vientos máximos sostenidos de 220 Km/h.

Las autoridades continúan la vigilancia del huracán para sectores de la costa caribe desde el sector de Barra Patuca hasta el cabo de Gracias a Dios en la Mosquitia hondureña, y vigilancia de tormenta tropical de Barra Patuca a Punta Castilla, esto significa que, condiciones con vientos superiores a los 220 Km/h son probables en las áreas en mención dentro de las próximas 06 horas, con oleaje que podría alcanzar entre 10 a 12 pies de altura.