29/12/2025
04:30 AM

Honduras estaría en la ruta de cuatro huracanes destructivos este año

  • Actualizado: 16 abril 2021 /

Probabilidades de que ingrese un ciclón que cause daños a su paso es del 58%, según expertos.

Tegucigalpa.

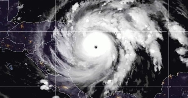
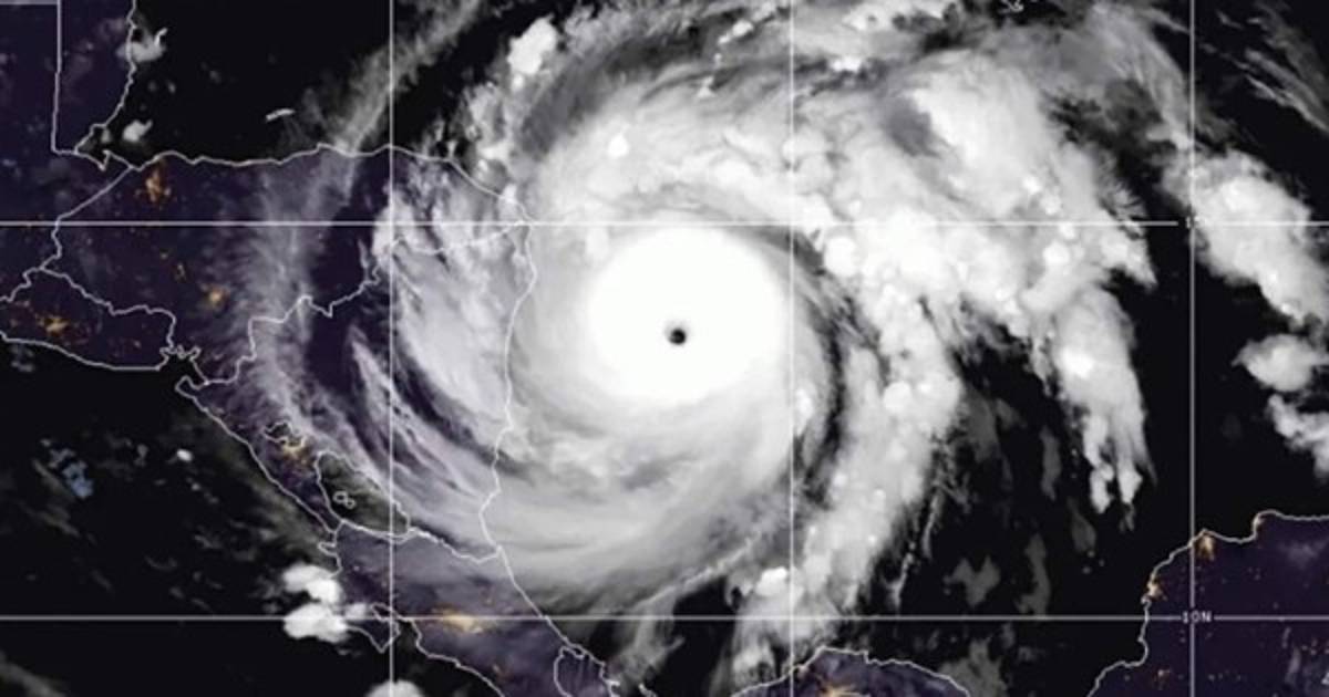
De las 17 tormentas tropicales que podrían ingresar al país durante la temporada ciclónica del 2021, ocho se convertirían en huracanes, pero lo preocupante es que cuatro de estos ocho alcanzarían escalas mayores a tres en Saffir Simpson.

Así lo manifestó el director del Centro Nacional de Estudios Atmosféricos, Oceanográficos y Sísmicos ( Cenaos), Francisco Argeñal, de acuerdo con las estimaciones de los modelos de los centros especializados en la proyección de huracanes.

LEA: Los nombres de los huracanes para el Atlántico en 2021

Estos huracanes, que en su mayoría se formarían en el Atlántico, según Argeñal, el mes de mayor afectación de ciclones tropicales podría ser en octubre próximo.

Estas condiciones climáticas estarán “un poco arriba del promedio, pero no atípico como el año pasado. La de este año es arriba del promedio, casi un 20 o 30 por ciento arriba del promedio de actividad”, dijo el experto.

Argeñal compartió que “según la Universidad de Colorado, este año en la cuenca del Caribe la probabilidad de que pase un ciclón destructivo es de un 58 por ciento, 16 por ciento mayor a un año normal”.

Esta semana la Comisión para el Control de las Inundaciones en el Valle de Sula (CCIVS) se reunió con los líderes patronales de los sectores de Pantano y Bajos de Baracoa, municipio de Puerto Cortés, y ante el avance de las licitaciones, adelantaron que el inicio de reparación de bordos dañados por las tormentas Eta y Iota se dará en menos de 15 días.

Estas áreas colindantes con la ciudad puerto fueron duramente afectadas por las inundaciones provocadas por las tormentas. Durante esta mesa de diálogo sostenida en la capital industrial, los dirigentes patronales expusieron la preocupación que existe en estos lugares, ya que tanto la población como cultivos de palma africana están totalmente desprotegidos.