Últimas Fotogalerías
Impactantes imágenes del monstruoso tifón Trami que se dirige a Japón
El gigantesco tifón de categoría 5 se dirige a Taiwán y Japón con vientos de más de 200 kilómetros por hora.
- Actualizado: 26 septiembre 2018 /
-
1 / 13Japón y Taiwán se preparan para recibir el azote del gigantesco tifón Trami, el quinto de la temporada, que llegará este fin de semana a las islas asiátiacas con vientos de más de 200 kilómetros por hora./Foto: Alexander Gerst. -
2 / 13El astronauta aleman, Alexander Gerst, publicó impactantes imágenes del monstruoso tifón tomadas desde la Estación Espacial Internacional. -
3 / 13Gerst compartió las imágenes que muestran el ojo de Trami en su cuenta de Twitter afirmando que pareciera como que alguien hubiera tirado 'del gigantesco tapón del planeta'. -
4 / 13'Observando el ojo de otra tormenta feroz. El súper tifón Trami, de categoría 5, es imparable y se dirige hacia Japón y Taiwán. Estén preparados', escribió Gerst junto a las imágenes. -
5 / 13Trami tocará tierra este fin de semana con la fuerza de un ciclón de categoría 4 provocando fuertes lluvias que dejarán severas inundaciones, según medios locales. -
6 / 13Trami es el quinto súpertifón de la temporada. La semana pasada, el tifón Mangkhut dejó más de 100 muertos en Filipinas y China. -
7 / 13La trayectoria prevista de Trami indica que el supertifón tocará tierra en Japón el próximo domingo. -
8 / 13Trami azotará las islas Ryukyu en el sur de Japón, incluyendo Okinawa, este sábado. -
9 / 13Meteorólogos esperan que Trami se debilite en los próximos días y llegue a Japón como un ciclón de categoría 3. -
10 / 13Foto: La Prensa -
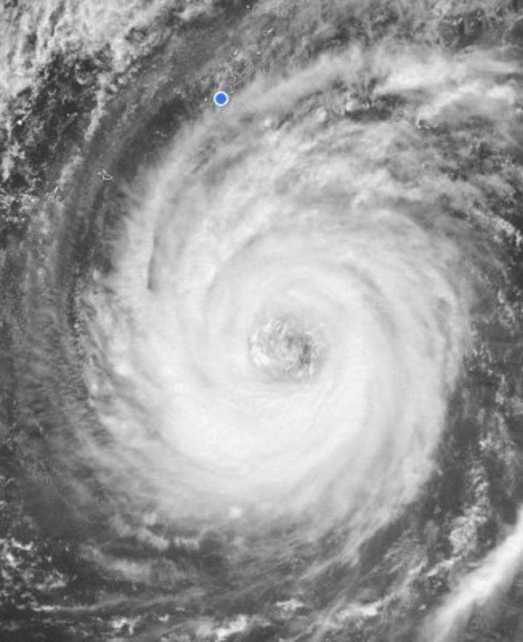
11 / 13El usuario James Reynolds compartió esta imagen del tifón este jueves. El punto azul es Okinawa. -
12 / 13El satélite MODIS de la NASA captó la imagen de Trami rozando Filipinas y avanzando lentamente hacia Taiwán. -
13 / 13Foto: La Prensa