18/12/2025
06:57 AM

Depresión tropical en el Caribe avanza hacia Honduras y Nicaragua

  • Actualizado: 31 octubre 2020 /

La fuerza de sus vientos va en aumento y esta misma noche tendrá categoría de tormenta tropical.

Miami, Estados Unidos

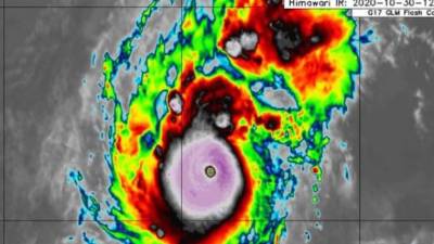
El Centro Nacional de Huracanes (NHC) de Estados Unidos informó este sábado de la formación en el Caribe de la depresión tropical 29, que se puede convertir en un huracán cerca de las costas de Nicaragua y Honduras a partir del lunes.

A las 21.00 GMT la depresión estaba a unas 315 millas (510 km) al sureste de Kingston (Jamaica) y a unas 665 millas (1.075 km) al este de Cabo Gracias a Dios, presentaba vientos de 35 millas por hora (55 km/h) y se movía a 15 millas por hora (24 km/h) en dirección oeste.

La fuerza de sus vientos va en aumento y esta misma noche tendrá categoría de tormenta tropical.

El NHC pidió atención en Nicaragua y Honduras al desarrollo del sistema, pero no emitió por ahora avisos.

Foto: La Prensa

En el Caribe una onda tropical con 100% de probabilidad de formación como ciclón
Hasta el domingo por la noche seguirá avanzando hacia el oeste, después reducirá la velocidad y virará al oeste-suroeste y luego al suroeste.

Se espera que el centro del ciclón esté cerca de la costa noreste de Nicaragua el lunes por la noche.

Hasta el jueves va a producir lluvias en Jamaica, las islas Caimán y partes de Centroamérica con riesgo de inundaciones, desbordes y deslizamientos de tierra.

Temporada de huracanes

En esta muy activa temporada ciclónica en el Atlántico se han formado 28 tormentas con nombre, de las cuales 11 han llegado a ser huracanes, el último Zeta que tocó tierra en Luisiana (EE.UU.) el pasado miércoles y fue el sexto en impactar en territorio estadounidense este año.

Zeta, que era un huracán de categoría 2 cuando impactó en la costa de Luisiana, se degradó a ciclón post-tropical este jueves tras haber dejado al menos 5 muertos y producido más de 2 millones de cortes de energía.

Sólo la temporada de 2005 supera a la del 2020 desde que se lleva registro. EFE

src='https://embed.windy.com/embed2.html?lat=14.179&lon=-81.079&detailLat=14.179&detailLon=-81.079&width=650&height=450&zoom=5&level=surface&overlay=wind&product=ecmwf&menu=&message=&marker=&calendar=now&pressure=&type=map&location=coordinates&detail=&metricWind=default&metricTemp=default&radarRange=-1'
frameborder='0'>