Fotos del huracán Melissa en Jamaica: de lo que se salvó Honduras
Las imágenes que llegan desde Jamaica muestran la fuerza destructiva del huracán Melissa, que azota a la isla con vientos de más de 295 kilómetros por hora
- Actualizado: 28 de octubre de 2025 a las 12:55 -
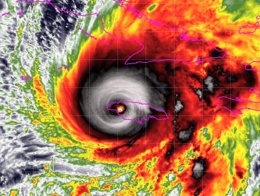
El huracán Melissa, el de mayor intensidad esta temporada en el Atlántico, llegó a Jamaica a las 11:00 hora local (16:00 GMT) con vientos máximos sostenidos cercanos a los 295 kilómetros por hora (183 millas), lluvias torrenciales y marejadas que amenazan con provocar inundaciones y daños catastróficos.
El número de personas en los refugios ha aumentado a casi 6.000, según Desmond McKenzie, el ministro jamaicano de Desarrollo Comunitario y responsable de la respuesta ante desastres.
Las autoridades reportaron que están recibiendo llamadas de personas en Saint Elizabeth que necesitan transporte para llegar hasta los refugios.
El Gobierno prevé más de 50.000 personas desplazadas debido al impacto de Melissa.
Fotografía de un fuerte oleaje provocado por el paso del huracán Melissa este martes, en Kingston (Jamaica). Melissa tocó tierra en Jamaica con vientos máximos sostenidos cercanos a los 295 kilómetros por hora (185 millas), lluvias torrenciales y marejadas que amenazan con provocar inundaciones y daños catastróficos.
"No es momento de ser valientes. No apuesten contra Melissa, es una apuesta que no podemos ganar", aseveró McKenzie. En este contexto, el director principal del Servicio Meteorológico, Evan Thompson, advirtió a la población civil a extremar la precaución al salir.
Fotografía de árboles caídos en una carretera debido al paso del huracán Melissa este martes, en Kingston (Jamaica).
El Gobierno de Jamaica estima que los vuelos de emergencia y socorro podrán aterrizar en el Aeropuerto Internacional Norman Manley (NMIA) el jueves, tras el paso del huracán.
Melissa entró en Jamaica cerca de la localidad de Black River, en el suroeste de la isla, convertido en un huracán de categoría 5, informó el Centro Nacional de Huracanes (NHC, en sus siglas en inglés) de Estados Unidos.
El organismo prevé que Melissa mantenga su intensidad extrema antes de cruzar el sureste de Cuba el miércoles y llegar a las Bahamas el jueves.
El huracán se desplaza a unos siete kilómetros por hora en dirección noreste, lo que podría empeorar la devastación que ocasione en tierra.
Melissa generará lluvias acumuladas de entre 38 y 76 centímetros sobre la isla, con máximos de hasta 1 metro, lo que provocará inundaciones repentinas y deslizamientos de tierra generalizados, según el NHC.EFE
Fotografía de piedras en una carretera debido al paso del huracán Melissa este martes, en Kingston (Jamaica).
Una persona camina frente a una casa afectada por el paso del huracán Melissa este martes, en Kingston (Jamaica).
Fotografía de piedras en una carretera debido al paso del huracán Melissa este martes, en Kingston (Jamaica).
La Compañía de Servicios Públicos de Jamaica (JPS, en inglés) informó este martes de cerca de 240.000 jamaicanos, alrededor del 35 % de los clientes, que están sin energía eléctrica tras el impacto del huracán Melissa.
El presidente y director ejecutivo de la JPS, Hugh Grant, detalló que en los municipios de Saint Elizabeth, Manchester, Hanover y Saint James, notificaron la mayor parte de los clientes sin servicio.