Últimas Fotogalerías
Eta revive las imágenes de la tragedia del Mitch en Honduras luego de 22 años
El huracán Mitch causó miles de muertes en todo el territorio hondureño en octubre de 1998.
- Actualizado: 26 octubre 2016 /
-
1 / 53Mitch afectó a América Central desde el 22 de octubre hasta el 5 de noviembre del 1998. -
2 / 53El Mitch dejó miles de viviendas destruidas en Honduras y Nicaragua. -
3 / 53Las muertes ocasionadas por las catastróficas inundaciones lo hicieron el segundo huracán más mortífero del Atlántico. Portada de Diario LA PRENSA del 29 de octubre del 1998. -
4 / 53El ojo del huracán se movió de forma paralela a la costa de Nicaragua y Honduras dejando a miles de familias sin vivienda. -
5 / 53Honduras recomendó que el nombre de Mitch fuera retirado y propuso el nombre de Matthew como reemplazo para su consideración. -
6 / 53Local residents remove the mud from the streets of Tegucigalpa, the Hondurian capital, 13 November 1998, after the passage of hurricane Mitch. Local Officials report that more than 800,000 people have lost their homes while 4,000 died nationwide because of the storm. / AFP PHOTO / JOEL ROBINE -
7 / 53La lluvia acumulada en los ríos causó inundaciones extensivas a lo largo del país. -
8 / 53Miles de familias hondureñas fueron desplazadas a causa de la destrucción que provocó el huracán Mitch. -
9 / 53Miles de hondureños sufrieron los estragos del huracán Mitch. -
10 / 53A member of the government security guards the remains of government buildings in Tegucigalpa 11 November. The government offices were destroyed in the massive flood from the Choluteca River caused by heavy rains from Hurricane Mitch. AFP PHOTO Joel ROBINE / AFP PHOTO / JOEL ROBINE -
11 / 53Martina Cadilla gets water from a fountain in what used to be her home 10 November nine days after her house was destroyed by a landslide caused by heavy rains that Hurrican Mitch dumped in the Central American region. Authorities say nearly 7,000 people have died and that 8,000 remain unaccounted for in Honduras. AFP PHOTO/Orlando SIERRA / AFP PHOTO / ORLANDO SIERRA -
12 / 53El municipio de La Lima fue uno de los que más sufrió, así como la capital de Honduras. -
13 / 53People cover their faces from the stench as they walk past a meat market 09 November which was recently flooded by the rising waters of the nearby Choluca River. Local authorities are advising the residents about health risks as they fear a spread of an epidemic in the capital. Health authorities indicate that a third of the nation's six million people were directly affected by the effects of hurricane Mitch after the storm dumped heavy rains that caused floods and landslides throughout the Central American region. AFP PHOTO/Orlando SIERRA / AFP PHOTO / ORLANDO SIERRA -
14 / 53La destrucción del Mitch fue muy grande. -
15 / 53La ciudad de La Ceiba sufrió mucho tras el paso del Mitch. -
16 / 53A man walks in a neighborhood in downtown Tegucigalpa 08 November which was covered by the rising waters of the Choluteca River as the river crested 01 November destroying buildings and houses killing thousands. Authorities say that some 7,000 people have been confirmed dead and other 12,000 remain unaccounted for after major floods and landslide caused by heavy rains from Hurricane Mitch. AFP PHOTO Roberto SCHMIDT / AFP PHOTO / ROBERTO SCHMIDT -
17 / 53Varios sectores de la ciudad de San Pedro Sula fueron víctimas de la furia de la tormenta tropical Mitch. -
18 / 53Miles de familias hondureñas sufrieron el impacto del Mitch. Los niños fueron de los más afectados debido a las enfermedades que se propagaron. -
19 / 53Mexican military dog handlers walk the ravaged streets of downtown Tegucigalpa 06 November with their search dogs as they continue to look for bodies in a neighborhood adjacent to the Choluteca River which runs through the capital and which crested dramatically 01 November after hurricane Mitch slashed across the Central American region. Authorities says that at least 7,000 people have been confirmed dead and other 12,000 remain unaccounted nationwide. AFP PHOTO/Roberto SCHMIDT / AFP PHOTO / ROBERTO SCHMIDT -
20 / 53Local residents survey the damage where a farm building used to stand in the middle of a field now covered by sand in Morolica in the southern part of Honduras 05 November four days after devastating weather triggered by hurricane Mitch slashed through most of the country destroying banana and coffee fields as well as 60 percent of the road infrastructure. Honduran authorities report that over 7,000 people were killed while more than 12,000 remain unaccounted for nationwide. AFP PHOTO/Yuri CORTEZ / AFP PHOTO / YURI CORTEZ -
21 / 53La lluvia acumulada en los ríos causó inundaciones extensivas a lo largo del país. -
22 / 53La economía de Honduras se vio severamente afectada tras las fuertes inundaciones que provocó el ciclón. -
23 / 53Muchos puentes se cayeron tras la fatídica tormenta. -
24 / 53A man carries a springbox he salvaged from a destroyed house 05 November after an entire neighborhood was wiped out by flood waters from the nearby river 01 November when Hurricane Mitch slashed through Central America causing widespread flooding and landslides. Honduran authorities report that more than 7,000 people have died while over 12,000 remain unaccounted for nationwide. AFP PHOTO/Roberto SCHMIDT / AFP PHOTO / ROBERTO SCHMIDT -
25 / 53El Mitch causó miles de millones de dólares en pérdidas materiales. -
26 / 53The partly destroyed town of Pespire in southern Honduras continues to battle flood waters from the Choluteca River 04 November. The death toll from Hurricane Mitch stands at 9,000 with 15,000 missing. AFP PHOTO/Yuri CORTEZ / AFP PHOTO / YURI CORTEZ -
27 / 53Mitch dejó cantidades históricas de precipitaciones en Honduras y Nicaragua, con informes no oficiales de hasta 1900 mm. -
28 / 53A settlement in the La Mosquitia province, northeast Honduras remain flooded 03 November by flood waters from the after the Segovia River after the passage of Hurricane Mitch. The storm which hit Central America killed 7,500 people, left 1.5 million homeless and 8,000 are missing, according to the latest reports from government officials and civil defense. AFP PHOTO/Orlando SIERRA
/ AFP PHOTO / ORLANDO SIERRA -
29 / 53Eighty-year-old Irene Avila rescues a mirror with portraits of Jesus Christ and the Virgin Mary outside her destroyed dwelling 01 November in Tegucigalpa, Honduras, due to heavy rains from the former hurricane Mitch. Downgraded to a tropical storm, official reports have put the death toll at 231 in Honduras, 566 in Nicaragua, 63 in El Salvador, 16 in Guatemala, 7 in Costa Rica and one each in Panama and Mexico.
La senora Irene Avila (80) rescata un cuadro de entre los escombros de su vivienda que fue destruida 01 de Noviembre por el derrumbe del Cerro El Berrinche en Tegucigalpa,Honduras.Mas de un millar de viviendas fueron destruidas por el derrumbe del Cerro El Berrinche como producto de la Depresion Tropical Mitch que azoto este pais. / AFP PHOTO / YURI CORTEZ -
30 / 53Debido a la incertidumbre los gobiernos lanzaron avisos oficiales de Huracán desde la frontera entre Honduras y Nicaragua hasta Belice 2 o 3 días antes que Mitch tocara tierra. -
31 / 53El huracán Mitch fue el huracán más mortífero desde el Gran Huracán de 1780. -
32 / 53Preparándose para la amenaza, el gobierno de Honduras evacuó cerca de 45 mil personas de las Islas de la Bahía y preparo los cayos e islas refugiarse en tierra firme. -
33 / 53Mitch fue el segundo huracán mortífero que pasó por Honduras desde que se iniciaron los nombramientos oficiales en 1950. -
34 / 53La mayoría de los daños ocurrieron en Honduras y Nicaragua, pero es preciso mencionar que también Guatemala y El Salvador sufrieron daños considerables. -
35 / 53La tormenta en Choluteca fue el equivalente a la lluvia promedio de 212 días. El río Choluteca alcanzó en este punto hasta seis veces su ancho normal. -
36 / 53Un bus quedó cubierto por las inundaciones que provocó el Mitch. -
37 / 53Mitch causó un daño tan grande y generalizado que el presidente de Honduras, Carlos Flores, dijo que habían sido destruidos cincuenta años de progreso en el país. -
38 / 53Diario LA PRENSA reportó exhaustivamente el caos que provocó el Mitch. -
39 / 53La destrucción del Mitch fue tan grande que arrasó completamente con varios pueblos. -
40 / 53El huracán causó un enorme dique entre Tegucigalpa y Comayagüela que impidió el tránsito de personas por varias semanas. -
41 / 53El huracán se mantuvo tres días estancado cerca de la isla de Guanaja. -
42 / 53Cerca del 20% de la población del país, posiblemente hasta 1,5 millones de personas, quedaron sin hogar -
43 / 53Muchas de las víctimas no identificadas fueron sepultadas en fosas comunes. -
44 / 53Según cifras oficiales, el huracán dejó 5.657 muertos, 8.058 desaparecidos, 1,5 millones de damnificados. -
45 / 53El país quedó prácticamente destruido. -
46 / 53
Muchos voluntarios trabajaron arduamente para ayudar a las víctimas.
-
47 / 53Diario LA PRENSA ofreció una cobertura completa del paso del huracán Mitch por Honduras. -
48 / 53Países de Centroamérica, del Caribe y México se sumaron a las labores de rescate y reconstrucción. -
49 / 53El aeropuerto de San Pedro Sula totalmente inundado. -
50 / 53Hace 18 años que ese evento, en Honduras y otros países de Centroamérica, se recuerda con mucha tristeza. -
51 / 53En la zona insular del país y dejaron a la mayor parte de la población sin electricidad por meses. -
52 / 53Los fuertes vientos destruyeron un tercio de las casas de la Guanaja en Islas de la Bahía. -
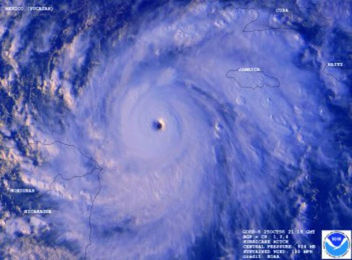
53 / 53Imágen de satélite del huracán Mitch, tomadas por la NASA a finales de octubre de 1998.