24/11/2025
11:45 AM

Huracán 'Paul' baja su intensidad y mantiene trayectoria hacia tierra

El huracán 'Paul' bajó la tarde de hoy su intensidad al pasar de categoría dos en la escala Saffir-Simpson (de cinco) a uno, y se dirige hacia el norte mexicano, sobre el océano Pacífico, informó el Servicio Meteorológico Nacional (SMN).

El huracán 'Paul' bajó la tarde de hoy su intensidad al pasar de categoría dos en la escala Saffir-Simpson (de cinco) a uno, y se dirige hacia el norte mexicano, sobre el océano Pacífico, informó el Servicio Meteorológico Nacional (SMN).

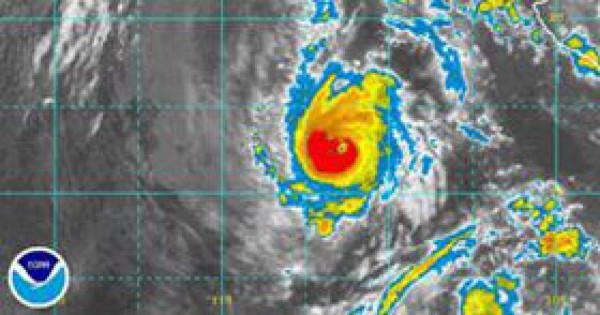
'Paul', que el domingo por la noche se transformó en huracán, se mueve acompañado de vientos de 150 kilómetros por hora y rachas de 185 kilómetros, según un boletín del organismo difundido a las 17.00 hora local (22.00 GMT).

El meteoro se localiza 675 kilómetros al sur-suroeste de Cabo San Lucas (península de Baja California) y a 210 kilómetros al sur-suroeste de la isla Socorro, frente al estado de Colima.

Se desplaza hacia el norte, rumbo al estado mexicano de Sinaloa, a siete kilómetros por hora.

El Servicio Meteorológico Nacional pronóstica que 'Paul' estará en las primera horas de mañana a 535 kilómetros al sur-suroeste de Cabo San Lucas y a 75 kilómetros al sur-suroeste de la isla Socorro, con un desplazamiento igual de 7 kilómetros por hora hacia el norte-noreste y con una intensidad de huracán categoría uno.

El SMN señaló que pueden verse afectada por el huracán las costas de los estados de Jalisco, Nayarit, Sinaloa y Baja California Sur.

El coordinador de Protección Civil estatal de Baja California Sur, Alfonso Gómez, dijo a Efe que hoy a partir de las 14.00 hora local (18.00 GMT) quedó instalado el Consejo Estatal de Protección Civil, que encabezará el gobernador Narciso Agúndez.

En este momento el estado está en alerta 'azul', la más baja de cinco niveles, lo que implica acciones informativas para prevenir a la población por la probable llegada de 'Paul'.

Por su parte el coordinador de Protección Civil municipal en La Paz, capital del estado, ubicada en el área de alerta, Raúl Orozco, añadió que esperan la llegada del huracán entre el martes y el jueves de esta semana.

Desde ayer, domingo, el Sistema Nacional de Protección Civil (Sinaproc) de México ha declarado en alerta 'verde' (penúltimo nivel de peligrosidad) las localidades de Isla Socorro y Benedicto, en el estado de Colima, y en 'azul' (la más baja) a las zonas costeras de los estados de Baja California Sur, Sinaloa y Nayarit, todos ellos en el oeste-noroeste de México.

Este año la costa del Pacífico mexicano ha visto el paso de varios huracanes, entre otros 'Emilia', 'Ileana', 'Lane' y 'John'. Este último, el de más intensidad, dejó cinco muertos en Baja California Sur entre fines de agosto y principios de septiembre.

Primera actualización 8.58 am

Huracán Paul frente a la costa occidental de México

El huracán Paul se fortaleció frente a la costa occidental de México este lunes y amenazaba a la península de Baja California, dijo el Centro Nacional de Huracanes de Miami.

Paul se convirtió en un ciclón de categoría dos. La escala que mide la intensidad de los huracanes va del uno, para los más leves, al cinco, para los más devastadores.

La tormenta soplaba vientos máximos sostenidos de 161 kilómetros por hora (100 millas por hora) y había cambiado de dirección. Se desplazaba con sentido oeste-noroeste a cerca de 9,7 kph (6 mph).

El centro dijo que Paul podría fortalecerse aún más y acelerar su velocidad en las próximas 24 horas.

A las 12.00 GMT, el centro de la tormenta estaba a unos 645 kilómetros (400 millas) al sur-suroeste de Cabo San Lucas, en México.

El gobierno mexicano emitió el domingo un aviso de huracán para la península de Baja California, desde el Cabo San Lucas, en el extremo sur, hacia Agua Blanca, en el norte, y La Paz, en la costa este.

México fue alcanzado por dos huracanes del océano Pacífico el mes pasado. El ciclón John castigó una zona remota de Baja California, matando a cinco personas y destruyendo 160 viviendas.

El huracán Lane, por su parte, golpeó a la población turística de Sinaloa, en Mazatlán, causando daños relativamente menores.