28/02/2026
08:23 PM

En vivo: Iota siga la trayectoria del huracán categoría 5

  • Actualizado: 12 noviembre 2020 /

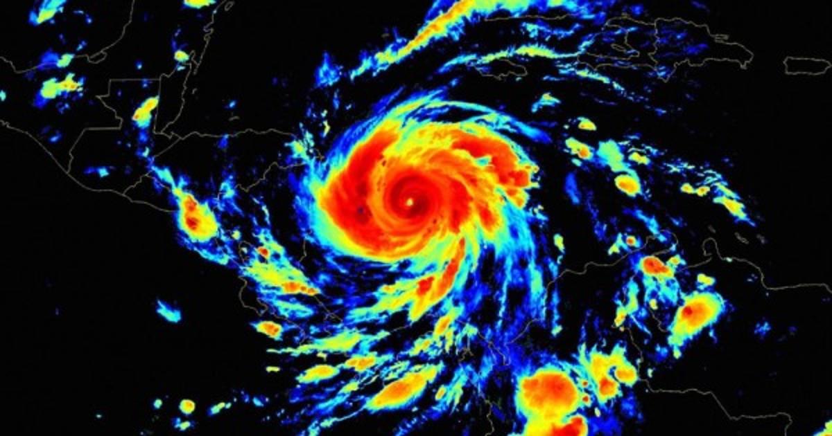
IOTA supera el pronóstico dado por expertos. Previo a tocar territorio es categoría 5.

Honduras

La alerta de huracán IOTA ha despertado el interés de muchos debido a su fuerza y el peligro que este representa para Honduras y Nicaragua.

Las condiciones climáticas para ambos países representará un efecto catastrófico por su ubicación y logistica contra desastres naturales.

El Centro Nacional de Huracanes (NHC) menciona que Iota es huracán categoría 5, el máximo nivel en la escala de Saffir-Simpson, su amenaza a Honduras y Nicaragua es inminente.

VER MAPA EN VIVO

Sorpresivamente, de acuerdo a los pronósticos Iota solo sería categoría 4, pero a pocos kilometros de llegar a las costas de Honduras y Nicaragua su fuerza alcanzó el máximo registrado.

El Comité Permanente de Contingencias (Copeco) anunció que las bandas de circulación asociadas al ciclón tropical estarán produciendo lluvias y chubascos intermitentes de intensidad variada en gran parte del Litoral Caribe, Islas de la Bahía, norte de Olancho y sectores del departamento de Yoro.