Elecciones Honduras
Nasry Asfura
logo-hamburguesa
  • Inicio
  • Lo último
  • LP Premium
    • Reportajes
    • En claves
    • Especiales
    • LP Datos
    • Series
  • Elecciones Honduras 2025
  • Fotogalerías
  • Honduras
  • San Pedro Sula
  • Deportes
  • Espectáculos
  • Sucesos
  • LP Verifica
  • Videos
  • Mundo
  • The New York Times
  • La Prensa USA
  • Hondureños en España
  • LP en el aula
  • Mente sana
  • LP Trámites
  • Economía
    • Dinero & Negocios
    • Sendas del café
  • Sociales
  • Opinión
    • Editorial
    • Columnistas
    • Caricaturas
  • Edición PDF
  • Boletines
  • Revistas
    • Amiga
    • Guía Médica
  • Utilidad
    • Tecnología
    • Autos
    • Emprendedores
  • Brand Studio
    • Te Interesa
    • Marketing & Empresas
    • Ediciones comerciales
  • Buen Provecho
  • Grupo OPSA
    • El Heraldo
    • Diez
    • Revista Estilo
    • Buen Provecho
    • Revista E&N
Logo La Prensa
  • Lo Último
  • Honduras
  • Sucesos
  • Fotogalerías
  • Deportes
  • Espectáculos
  • LP Verifica
  • Premium
  • Videos
  • Boletines
  • Edición PDF
Imagen Generica

Localización del potente huracán Melissa en el mar Caribe.

Mundo

Aumentan a 20 los muertos en Haití por las lluvias del huracán Melissa

El Centro Nacional de Huracanes informó que Melissa avanza por el Caribe como huracán categoría 2 tras impactar Jamaica y Cuba.

  • Agencia EFE
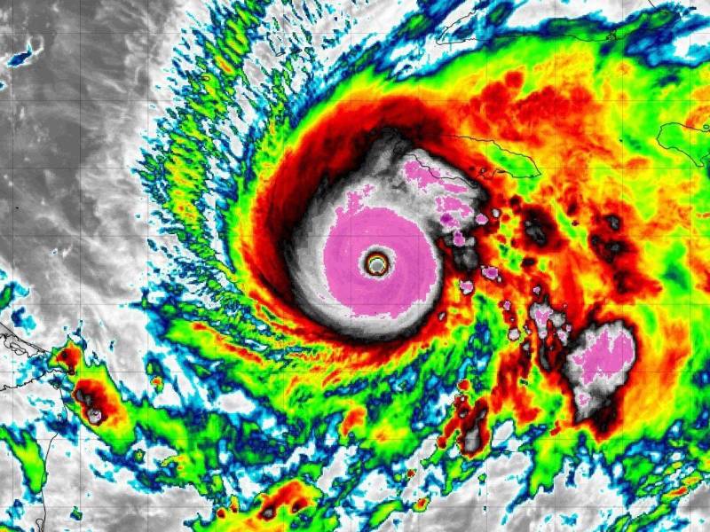
El Centro Nacional de Huracanes de Estados Unidos prevé que Melissa tocará tierra en las próximas horas, manteniendo su intensidad extrema.

Mundo

Huracán Melissa, de categoría 5, azota Jamaica con lluvias y vientos devastadores

Las autoridades de Jamaica instaron a la población a permanecer en refugios seguros, ante la inminencia de vientos devastadores que podrían causar "fallos estructurales totales".

  • Agencia EFE
El Centro Nacional de Huracanes prevé que Melissa impacte este lunes a Jamaica.

Mundo

Melissa golpeará a Jamaica como un destructivo huracán de categoría 5

El NHC advierte a la población de Jamaica que no abandone su refugio seguro, ya que hasta mañana martes existe un alto riesgo de inundaciones repentinas y deslizamientos catastróficos.

  • Redacción La Prensa
Localización del poderoso huracán Melissa en el centro del mar Caribe.

Mundo

Melissa avanza como un poderoso huracán categoría 4 en el Caribe

Melissa registra vientos de 225 km/h y dejará fuertes lluvias, inundaciones y peligrosas marejadas en Jamaica, Cuba, La Española y el sureste de Bahamas.

  • Redacción La Prensa
Cargar más
imagen footer
  • Botones_Footer
Secciones
  • LP Premium
  • San Pedro Sula
  • Honduras
  • Sucesos
  • Economía
  • Opinión
  • LP Verifica
  • Fotogalerías
  • Videos
Boletines
  • Noticias
  • Deportes
  • Guía Médica
  • Semana en Imágenes
  • Buen Provecho
  • NYT International
  • Conéctate
Suscríbete
  • Ingresar
  • Notificaciones
Grupo OPSA
  • La Prensa
  • El Heraldo
  • Diez
  • Revista Estilo
  • Buen Provecho
  • Revista E&N
  • GOTV
Acerca de La Prensa
  • Quiénes somos
  • Políticas de Privacidad
  • Mapa del sitio
  • Kiosco
  • Preguntas Frecuentes
  • Contáctenos
Edición impresa
Se queman entre 60 y 100 locales: ¡arde el mercado!

Se queman entre 60 y 100 locales: ¡arde el mercado!

martes 30 de dic de 2025 Ediciones Anteriores
La Prensa - Todos los derechos reservados ©