Elecciones Honduras
Resultados
logo-hamburguesa
  • Inicio
  • Lo último
  • LP Premium
    • Reportajes
    • En claves
    • Especiales
    • LP Datos
    • Series
  • Elecciones Honduras 2025
  • Fotogalerías
  • Honduras
  • San Pedro Sula
  • Deportes
  • Espectáculos
  • Sucesos
  • LP Verifica
  • Videos
  • Mundo
  • The New York Times
  • La Prensa USA
  • Hondureños en España
  • LP en el aula
  • Mente sana
  • LP Trámites
  • Economía
    • Dinero & Negocios
    • Sendas del café
  • Sociales
  • Opinión
    • Editorial
    • Columnistas
    • Caricaturas
  • Edición PDF
  • Boletines
  • Revistas
    • Amiga
    • Guía Médica
  • Utilidad
    • Tecnología
    • Autos
    • Emprendedores
  • Brand Studio
    • Te Interesa
    • Marketing & Empresas
    • Ediciones comerciales
  • Buen Provecho
  • Grupo OPSA
    • El Heraldo
    • Diez
    • Revista Estilo
    • Buen Provecho
    • Revista E&N
Logo La Prensa
  • Lo Último
  • Honduras
  • Sucesos
  • Fotogalerías
  • Deportes
  • Espectáculos
  • LP Verifica
  • Premium
  • Videos
  • Boletines
  • Edición PDF
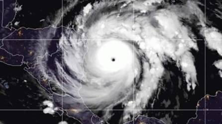
El pronóstico se mantiene por encima del promedio debido a temperaturas oceánicas elevadas y patrones climáticos que potencian la actividad ciclónica.

Mundo

NOAA prevé aumento de tormentas tropicales en el Atlántico entre agosto y noviembre

La NOAA estima entre 13 y 18 tormentas tropicales y hasta 5 huracanes de gran intensidad antes de que finalice la temporada en noviembre.

  • Agencia EFE
Fotografía del fenómeno meteorológico Oscar este lunes, desde La Habana (Cuba). EFE/ Lorenzo Crespo Silveira

Mundo

Cuba: seis muertos por la tormenta tropical Óscar

Las lluvias y tormentas eléctricas de este fenómeno seguirán afectando en las próximas horas a la isla caribeña, especialmente en áreas montañosas, según el Insmet.

  • Texto EFE
El NHC avisó de que hacia el domingo la costa del sureste de EEUU podría registrar un fuerte oleaje debido a Kirk.

Mundo

El huracán Kirk sube a categoría 4 en aguas del Atlántico

El huracán Kirk se desplaza hacia el norte-noroeste con una velocidad de traslación de 19 kilómetros por hora y se espera un fortalecimiento adicional del sistema en las próximas 24 horas.

  • Agencia EFE
Este fin de semana, una onda tropical estará afectando a San Pedro Sula, según Cenaos.

Honduras

¿Qué viene después de la canícula?

La canícula o veranillo (ausencia de lluvias) comenzó el pasado 20 de julio y se extenderá hasta finales de agosto.

  • Carlitos Girón
Acceso con registro
Cargar más
imagen footer
  • Botones_Footer
Secciones
  • LP Premium
  • San Pedro Sula
  • Honduras
  • Sucesos
  • Economía
  • Opinión
  • LP Verifica
  • Fotogalerías
  • Videos
Boletines
  • Noticias
  • Deportes
  • Guía Médica
  • Semana en Imágenes
  • Buen Provecho
  • NYT International
  • Conéctate
Suscríbete
  • Ingresar
  • Notificaciones
Grupo OPSA
  • La Prensa
  • El Heraldo
  • Diez
  • Revista Estilo
  • Buen Provecho
  • Revista E&N
  • GOTV
Acerca de La Prensa
  • Quiénes somos
  • Políticas de Privacidad
  • Mapa del sitio
  • Kiosco
  • Preguntas Frecuentes
  • Contáctenos
Edición impresa
EE UU: Interferir con la labor del CNDE tendrá consecuencias

EE UU: Interferir con la labor del CNDE tendrá consecuencias

jueves 18 de dic de 2025 Ediciones Anteriores
La Prensa - Todos los derechos reservados ©