Los nombres de las tormentas tropicales que azotarán en el Atlántico y Pacífico en 2023
Para la temporada ciclónica 2023, Honduras está bajo la amenaza de 22 huracanes, siete de ellos, de peligrosa categoría, y 29 tormentas tropicales, según proyecciones del Centro de Estudios Atmosféricos, Oceanográficos y Sismológicos (Cenaos).
- Actualizado: 17 mayo 2023 /
-
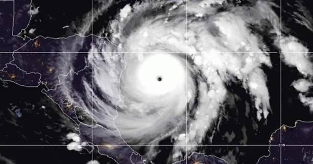
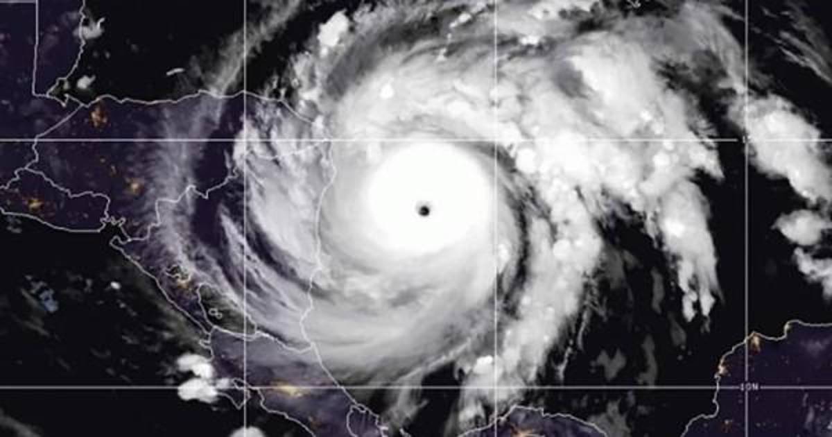
1 / 12Unas 29 tormentas tropicales, de las cuales 22 podrían convertirse en huracanes, podrían afectar a Honduras durante la temporada ciclónica 2023 en el Atlántico y Pacífico, según pronósticos del Centro de Estudios Atmosféricos, Oceanográficos y Sismológicos (Cenaos).
-
2 / 12Expertos nacionales e internacionales coinciden en que el periodo de huracanes de este año será muy activo y parecido al de 2022.
-
3 / 12En el Atlántico, se prevé la formación de 14 tormentas tropicales.
-
4 / 1210 de estas tormentas tendrían potencial de convertirse en huracanes, de los cuales tres alcanzarían categorías de 3, 4 y 5 en la escala Saffir Simsons.
-
5 / 12Los nombres que recibirán estas tormentas tropicales que se formarían en el Atlántico son: Arlene, Margot, Bret, Nigel, Cindy, Ophelia, Don, Philippe, Emily, Rina, Franklin, Sean, Gert, Tammy, Harold, Vince, Idalia, Whitney, José, Katia y Lee.
-
6 / 12Por su parte, en la cuenca del Pacífico, cuya temporada de huracanes fue declarada este lunes 15 de mayo en Honduras, se pronostica la formación de 15 a 16 tormentas tropicales.
-
7 / 12De estos fenómenos climatológicos, se avizora que ocho se transformen en huracanes de categorías 1 y 2.
-
8 / 12De los cuales, cuatro de estos ciclones tienen potencial para convertirse en poderosos huracanes de categoría 3, 4 y 5.
-
9 / 12Los nombres que recibirán las tormentas tropicales del Pacífico son: Adrián, Max, Beatriz, Norma, Calvin, Otis, Dora, Pilar, Eugene, Ramón, Fernanda, Selma, Greg, Todd, Hilary, Verónica, Irwin, Wiley, Jova, Xina, Kenneth, York, Lidia, Zelda.
-
10 / 12Año con año, la temporada de tormentas tropicales y huracanes preocupa a la población de Honduras y el resto de países de Centroamérica.
-
11 / 12La vulnerabilidades de muchas ciudades ante este tipo de fenómenos ha sido evidenciada.
-
12 / 12En octubre y noviembre de 2020, Honduras y Nicaragua sufrieron los embates de los poderosos huracanes Eta y Iota, que dejaron una estela de muerte y destrucción a su paso.