18/04/2026
11:16 AM

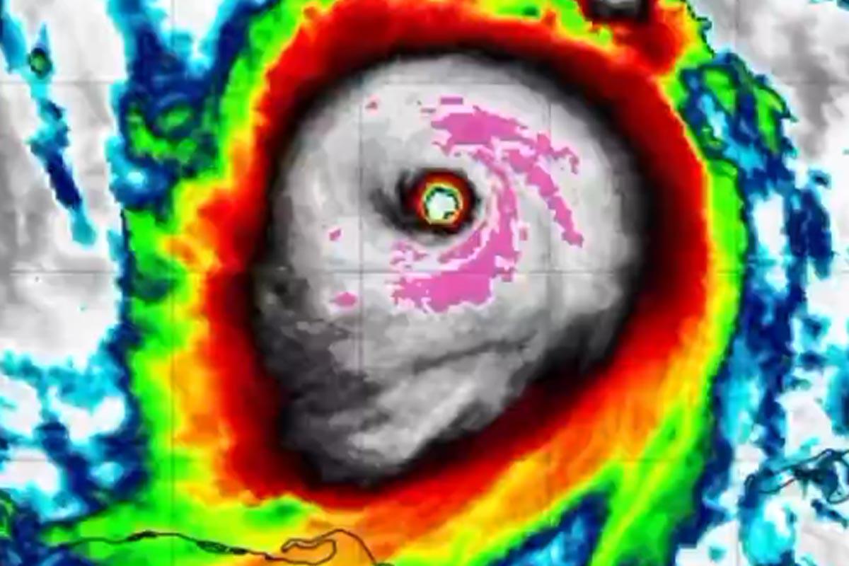
Huracán Milton toma la forma de una calavera en satélites

  • Actualizado: 09 octubre 2024 /

Según la trayectoria pronosticada, el centro de Milton tocará tierra en algún punto de la costa centro-oeste de Florida la noche de este miércoles.

Florida, Estados Unidos

El huracán Milton, una de las tormentas más poderosas de la temporada, ha sorprendido no solo por su intensidad, sino por una extraña y aterradora forma captada en las imágenes de radar.

Video: Avión cazahuracanes es sacudido por el huracán Milton

Durante las últimas horas, el fenómeno natural adquirió la figura de lo que parece ser una calavera, lo que ha generado alarma entre muchas personas.

El huracán Milton fue detectado durante la madrugada, cuando el huracán alcanzaba la categoría 5 con vientos sostenidos de 165 millas por hora (mph) mientras avanzaba hacia la costa de Florida.

La imagen de la calavera, visible en los satélites, provocó asombro y cierta inquietud entre quienes siguen de cerca la trayectoria de la tormenta.

Aunque la figura es solo una coincidencia visual, la impresionante apariencia del huracán ha aumentado el temor por los posibles daños que pueda causar a medida que se acerca a tierra firme.

Las autoridades han intensificado los llamados de evacuación en las zonas costeras, preparándose para el impacto de Milton, que sigue siendo monitoreado de cerca.

Aviso de tornados

El Centro Nacional de Huracanes (NHC, en inglés) de EE.UU. emitió este miércoles un aviso de tornados para partes del sur de Florida, al tiempo que instó de nuevo a la población expuesta al embate del huracán Milton, especialmente en la costa oeste, a que evacúe si así lo requiere la autoridad local.

En su boletín de las 12:00 hora local (16:00 GMT), el NHC indicó que múltiples tornados han comenzado a producirse en partes del sur de la península de Florida, mientras el “extremadamente peligroso” huracán de categoría 4 Milton se aproxima a la costa oeste de este estado, donde se espera que impacte en la noche del miércoles.