Elecciones Honduras
Resultados
logo-hamburguesa
  • Inicio
  • Lo último
  • LP Premium
    • Reportajes
    • En claves
    • Especiales
    • LP Datos
    • Series
  • Elecciones Honduras 2025
  • Fotogalerías
  • Honduras
  • San Pedro Sula
  • Deportes
  • Espectáculos
  • Sucesos
  • LP Verifica
  • Videos
  • Mundo
  • The New York Times
  • La Prensa USA
  • Hondureños en España
  • LP en el aula
  • Mente sana
  • LP Trámites
  • Economía
    • Dinero & Negocios
    • Sendas del café
  • Sociales
  • Opinión
    • Editorial
    • Columnistas
    • Caricaturas
  • Edición PDF
  • Boletines
  • Revistas
    • Amiga
    • Guía Médica
  • Utilidad
    • Tecnología
    • Autos
    • Emprendedores
  • Brand Studio
    • Te Interesa
    • Marketing & Empresas
    • Ediciones comerciales
  • Buen Provecho
  • Grupo OPSA
    • El Heraldo
    • Diez
    • Revista Estilo
    • Buen Provecho
    • Revista E&N
Logo La Prensa
  • Lo Último
  • Honduras
  • Sucesos
  • Fotogalerías
  • Deportes
  • Espectáculos
  • LP Verifica
  • Premium
  • Videos
  • Boletines
  • Edición PDF
Daños causados por el tifón Kalmaegi en Talisay City, Cebú, Filipinas. EFE

Mundo

El tifón Kalmaegi deja al menos tres fallecidos y 12 desaparecidos en Filipinas

El alcalde de la ciudad de Cebú, Nestor Archival, dijo que 12 personas fueron arrastradas por las inundaciones y se encuentran en paradero desconocido.

  • Agencia EFE
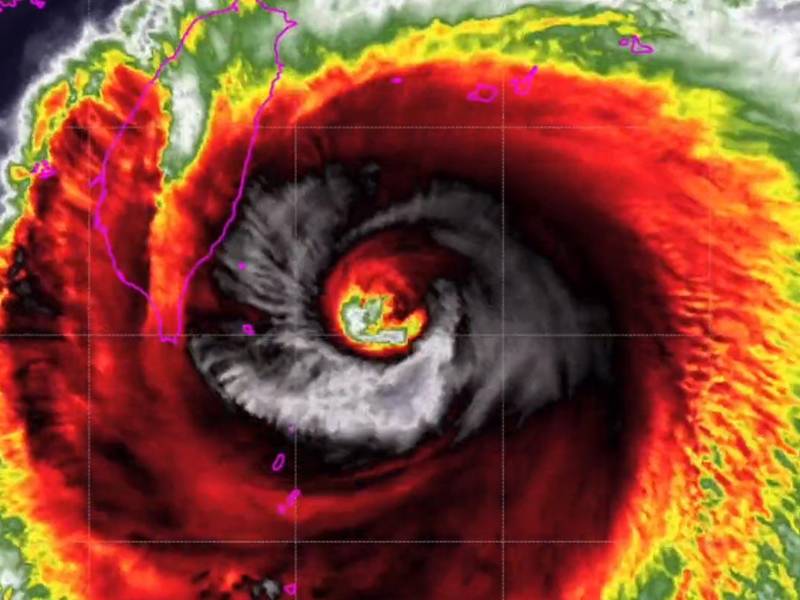
Captura de pantalla a una publicación en Facebook realizada el 10 de octubre de 2024.

Bulos

Foto de la NASA no muestra al huracán Milton, sino al tifón Maysak de 2015

Las imágenes fueron captadas por astronautas durante el tifón Maysak, en 2015

  • Carlos Urrutia
El ojo del tifón se encontraba 155 kilómetros al norte-noreste de la provincia de Batanes, en la parte más septentrional de Filipinas

Mundo

Poderoso tifón Koinu golpea a Taiwán

El tifón Koinu alcanzó ráfagas de 342,72 kilómetros por hora durante la noche.

  • AgenciaAFP
Las lluvias torrenciales que azotan el norte de China causaron el sábado al menos 10 muertes más en la región alrededor de Pekín, con lo que el número de víctimas fatales asciende al menos a 30 desde principios de semana.

Mundo

Imágenes: luto y devastación en China por inundaciones causadas por tifón Doksuri

Las lluvias torrenciales que azotan el norte de China causaron el sábado al menos 10 muertes más en la región alrededor de Pekín, con lo que el número de víctimas fatales asciende al menos a 30 desde ...

  • Agencia AFP
imagen footer
  • Botones_Footer
Secciones
  • LP Premium
  • San Pedro Sula
  • Honduras
  • Sucesos
  • Economía
  • Opinión
  • LP Verifica
  • Fotogalerías
  • Videos
Boletines
  • Noticias
  • Deportes
  • Guía Médica
  • Semana en Imágenes
  • Buen Provecho
  • NYT International
  • Conéctate
Suscríbete
  • Ingresar
  • Notificaciones
Grupo OPSA
  • La Prensa
  • El Heraldo
  • Diez
  • Revista Estilo
  • Buen Provecho
  • Revista E&N
  • GOTV
Acerca de La Prensa
  • Quiénes somos
  • Políticas de Privacidad
  • Mapa del sitio
  • Kiosco
  • Preguntas Frecuentes
  • Contáctenos
Edición impresa
CNE pide respeto, tranquilidad y confianza

CNE pide respeto, tranquilidad y confianza

viernes 05 de dic de 2025 Ediciones Anteriores
La Prensa - Todos los derechos reservados ©