Guerra Israel - Irán
Juicio político
logo-hamburguesa
  • Inicio
  • Lo último
  • LP Premium
    • Reportajes
    • En claves
    • Especiales
    • LP Datos
    • Series
  • Fotogalerías
  • Honduras
  • Mundo
  • San Pedro Sula
  • Deportes
  • Espectáculos
  • Sucesos
  • LP Verifica
  • Elecciones Honduras 2025
  • Videos
  • Mente sana
  • Economía
    • Dinero & Negocios
    • Sendas del café
  • Sociales
  • Opinión
    • Editorial
    • Columnistas
    • Caricaturas
  • Edición PDF
  • Boletines
  • Revistas
    • Amiga
    • Guía Médica
  • Utilidad
    • Tecnología
    • Autos
    • Emprendedores
  • Brand Studio
    • Te Interesa
    • Marketing & Empresas
    • Ediciones comerciales
  • Buen Provecho
  • Grupo OPSA
    • El Heraldo
    • Diez
    • Revista Estilo
    • Buen Provecho
    • Revista E&N
Logo La Prensa
  • Lo Último
  • Honduras
  • Sucesos
  • Fotogalerías
  • Deportes
  • Espectáculos
  • LP Verifica
  • Premium
  • Videos
  • Boletines
  • Edición PDF
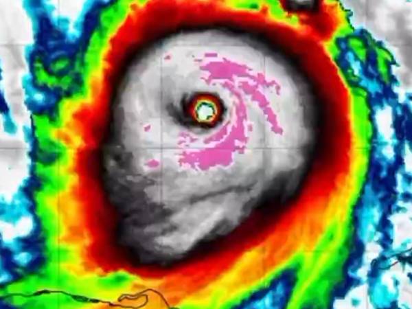
El ojo del huracán Milton junto a las bandas que lo rodean formar una figura de calavera.

Mundo

Huracán Milton toma la forma de una calavera en satélites

Según la trayectoria pronosticada, el centro de Milton tocará tierra en algún punto de la costa centro-oeste de Florida la noche de este miércoles.

  • Redacción web
imagen footer
  • Botones_Footer
Secciones
  • LP Premium
  • San Pedro Sula
  • Honduras
  • Sucesos
  • Economía
  • Opinión
  • LP Verifica
  • Fotogalerías
  • Videos
Boletines
  • Noticias
  • Deportes
  • Guía Médica
  • Semana en Imágenes
  • Buen Provecho
  • NYT International
  • Conéctate
Suscríbete
  • Ingresar
  • Notificaciones
Grupo OPSA
  • La Prensa
  • El Heraldo
  • Diez
  • Revista Estilo
  • Buen Provecho
  • Revista E&N
  • GOTV
Acerca de La Prensa
  • Quiénes somos
  • Políticas de Privacidad
  • Mapa del sitio
  • Kiosco
  • Preguntas Frecuentes
  • Contáctenos
Edición impresa
Comisión pide destitución de Ochoa y Morazán

Comisión pide destitución de Ochoa y Morazán

jueves 16 de abr de 2026 Ediciones Anteriores
La Prensa - Todos los derechos reservados ©